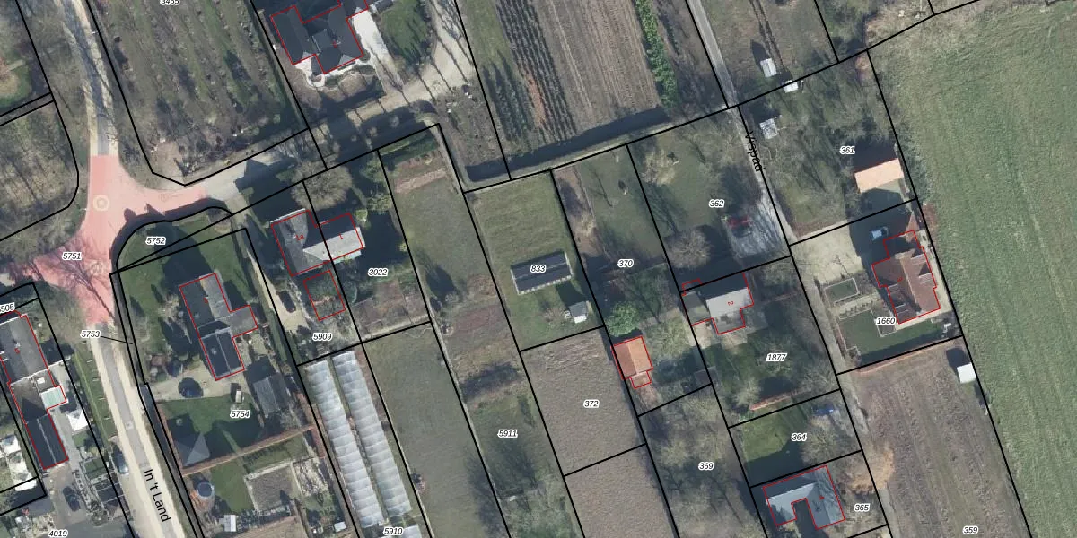
Perceel: OHD00-C-833
KadastraleKaart.com kan meer dan je denktOntdek meer ›
Filter op bestemming 50+ datasets Eigendomsdata in één klik Percelen CRM
Geen adressen bij dit perceel
480 m2 - 95 m
Eigenaar opvragen
OHD00-C-833 (Opheusden)
- Geen postcode aanwezig
Mfzzo 9D4wnHiU 0 EUpgrade naar KadastraleKaart Pro
Bekijk op Street View
Download DWG/DXF/Excel
0ZkRutoI60NUpgrade naar KadastraleKaart Pro
xHPwydK1124wFYV5 zjUpgrade naar KadastraleKaart Pro
4yQAKfqkJJ Upgrade naar KadastraleKaart Pro
epv TXA Upgrade naar KadastraleKaart Pro
BxW8 Vte8KLGMHK jQUpgrade naar KadastraleKaart Pro
HMhq2 7LK8r6SAmK Upgrade naar KadastraleKaart Pro
lOT 2 8MUpgrade naar KadastraleKaart Pro
loITF7h MU607KVIUpgrade naar KadastraleKaart Pro
Xn3xmS1aUpgrade naar KadastraleKaart Pro
2 zJo7saEIhUpgrade naar KadastraleKaart Pro
14/10/2002

Percelen
Gebruik de zoekbalk of klik op een perceel om informatie over het perceel te bekijken.