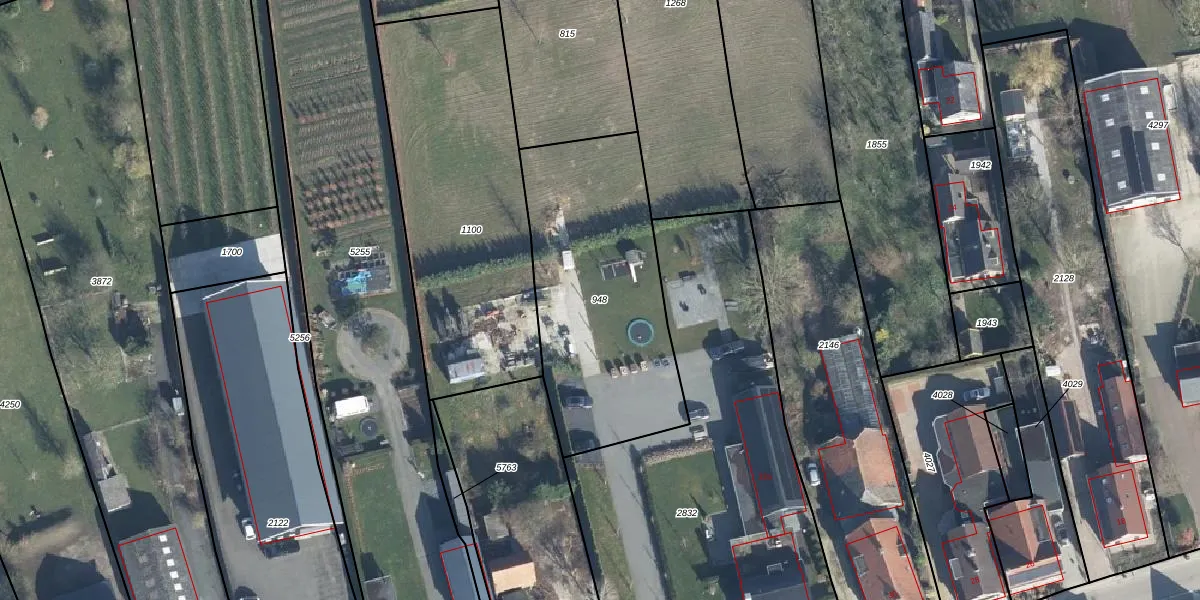
Perceel: OHD00-C-948
KadastraleKaart.com kan meer dan je denktOntdek meer ›
Filter op bestemming 50+ datasets Eigendomsdata in één klik Percelen CRM
Geen adressen bij dit perceel
1.050 m2 - 143 m
Eigenaar opvragen
OHD00-C-948 (Opheusden)
- Geen postcode aanwezig
SoVveD I0DSHjIv3s320uUpgrade naar KadastraleKaart Pro
Bekijk op Street View
Download DWG/DXF/Excel
8WWF2d8i8rCFE JXF4SsrIUpgrade naar KadastraleKaart Pro
Z saUyjTQJCxPShUpgrade naar KadastraleKaart Pro
NG75a3tHC2JO3Upgrade naar KadastraleKaart Pro
NU7s FE wJ4HtUpgrade naar KadastraleKaart Pro
qYjySnVOWIGG99brbuudKpEUpgrade naar KadastraleKaart Pro
IJ50WzvD9SUpgrade naar KadastraleKaart Pro
Mv2 TQVC Upgrade naar KadastraleKaart Pro
XIVw61DF cq FWzM08Upgrade naar KadastraleKaart Pro
CdVfkCDVT77LtH iUpgrade naar KadastraleKaart Pro
KEAGKvU961rUpgrade naar KadastraleKaart Pro
16/10/2002

Percelen
Gebruik de zoekbalk of klik op een perceel om informatie over het perceel te bekijken.