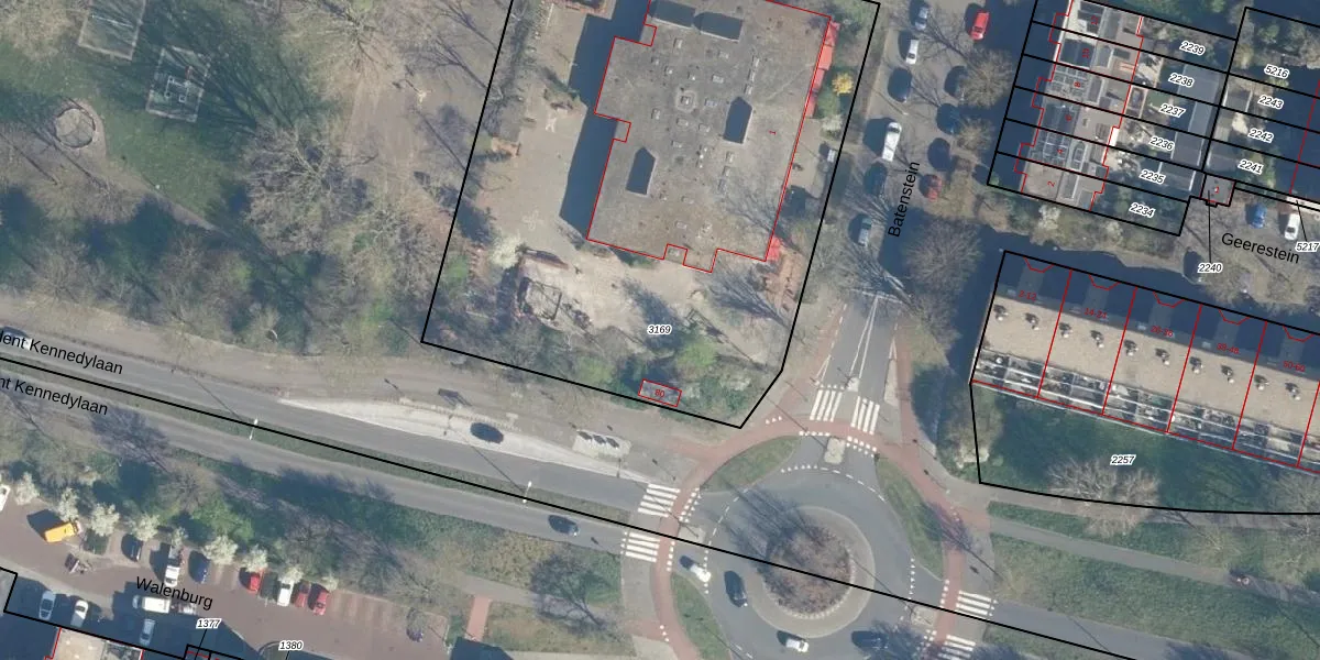
Perceel: OHN00-B-3169
KadastraleKaart.com kan meer dan je denktOntdek meer ›
Filter op bestemming 50+ datasets Eigendomsdata in één klik Percelen CRM
3.604 m2 - 240 m
Eigenaar opvragen
OHN00-B-3169 (Oudshoorn)
- 2403 PK -2403 DP
1FD4B9 ubJZZ55BjNVgmb1kpoF Upgrade naar KadastraleKaart Pro
Bekijk op Street View
Download DWG/DXF/Excel
jom E1j WUpgrade naar KadastraleKaart Pro
VNxqmT0p dSv5MsrkUpgrade naar KadastraleKaart Pro
Lcgh52a3OzU1Upgrade naar KadastraleKaart Pro
39GRSxHUpgrade naar KadastraleKaart Pro
EHmJduwy32zum1tDZkAUpgrade naar KadastraleKaart Pro
4AQwQWiDx2GRUpgrade naar KadastraleKaart Pro
WU Qqo25Ed0WUpgrade naar KadastraleKaart Pro
At2RtOMqMy2f4Upgrade naar KadastraleKaart Pro
CbeH4VG46Upgrade naar KadastraleKaart Pro
4 c 8dxEAjGdlmo9jJ W9qrUpgrade naar KadastraleKaart Pro
08/02/2006

Percelen
Gebruik de zoekbalk of klik op een perceel om informatie over het perceel te bekijken.