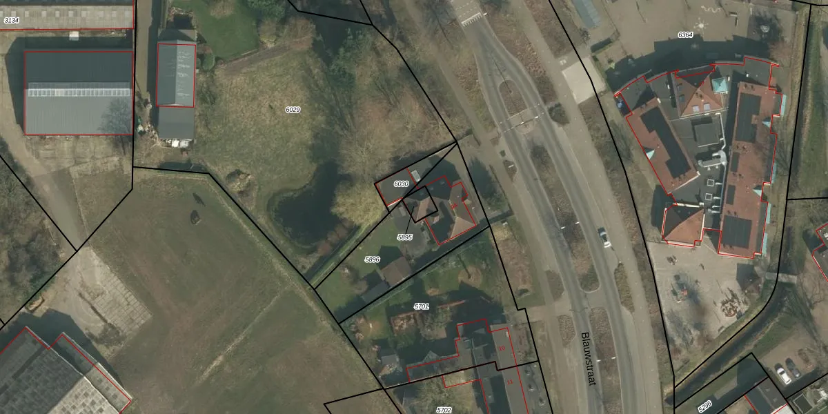
Perceel: OLO00-C-5895
KadastraleKaart.com kan meer dan je denktOntdek meer ›
Filter op bestemming 50+ datasets Eigendomsdata in één klik Percelen CRM
Geen adressen bij dit perceel
42 m2 - 26 m
Eigenaar opvragen
OLO00-C-5895 (Oploo)
- Geen postcode aanwezig
aBux PaGUpIgrNWTCQxreCUpgrade naar KadastraleKaart Pro
Bekijk op Street View
Download DWG/DXF/Excel
ZHCpBZ44G2B5mzUpgrade naar KadastraleKaart Pro
Tx HWYxhK OhIKgVMRMfQtUpgrade naar KadastraleKaart Pro
Ms 8w9uB7gAZz enJKUpgrade naar KadastraleKaart Pro
kGL7u7DLLgsu8Upgrade naar KadastraleKaart Pro
id2Muvab CKUs vvSQ dUpgrade naar KadastraleKaart Pro
UM7vJ1 ScCiZkB0DLUpgrade naar KadastraleKaart Pro
OTirSALWEJ5 W Upgrade naar KadastraleKaart Pro
u9vcOUU 4Upgrade naar KadastraleKaart Pro
e5mDdu3W9QPUpgrade naar KadastraleKaart Pro
8qYQfwP 0 PEwZr9QRmXNUpgrade naar KadastraleKaart Pro
26/06/2007

Percelen
Gebruik de zoekbalk of klik op een perceel om informatie over het perceel te bekijken.