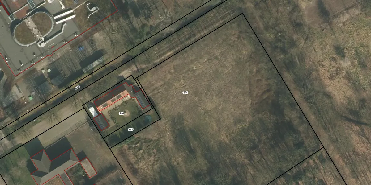
Perceel: OLO00-E-562
KadastraleKaart.com kan meer dan je denktOntdek meer ›
Filter op bestemming 50+ datasets Eigendomsdata in één klik Percelen CRM
Geen adressen bij dit perceel
7.725 m2 - 370 m
Eigenaar opvragen
OLO00-E-562 (Oploo)
- Geen postcode aanwezig
sKQrSCFzMFrYoLMk0 iUwUpgrade naar KadastraleKaart Pro
Bekijk op Street View
Download DWG/DXF/Excel
A5 QwGaYJ4AUpgrade naar KadastraleKaart Pro
KoAiwogoFTMaeE 4 eGj8Upgrade naar KadastraleKaart Pro
lxaQEsF4NM6zKfVG IUpgrade naar KadastraleKaart Pro
uZx5EJirUXxl Upgrade naar KadastraleKaart Pro
UIIZY7aEol GUpgrade naar KadastraleKaart Pro
xrm iDztgUpgrade naar KadastraleKaart Pro
OWsFQPNqz Upgrade naar KadastraleKaart Pro
tQdjyvJPN ixBuibYUpgrade naar KadastraleKaart Pro
UVJ b3gObHSwpfhliI2owUpgrade naar KadastraleKaart Pro
gCEJrXFoUVpj58tbUpgrade naar KadastraleKaart Pro
27/03/2013

Percelen
Gebruik de zoekbalk of klik op een perceel om informatie over het perceel te bekijken.