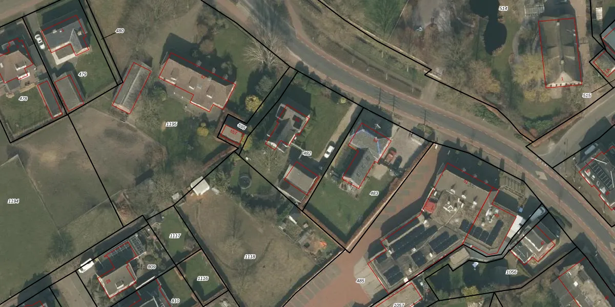
Perceel: OLO00-I-482
KadastraleKaart.com kan meer dan je denktOntdek meer ›
Filter op bestemming 50+ datasets Eigendomsdata in één klik Percelen CRM
970 m2 - 125 m
Eigenaar opvragen
OLO00-I-482 (Oploo)
- 5846 AB
ogIu4ZSoXJYJ7gbBG TZUpgrade naar KadastraleKaart Pro
Verkoopprijs opvragen
Bekijk op Street View
Download DWG/DXF/Excel
byfD6qG6MVwO5R3GiwFZ6Upgrade naar KadastraleKaart Pro
y2ZCrIQhz 1kdmA6gofePLfUpgrade naar KadastraleKaart Pro
k iR3S ZlwGIzHwUpgrade naar KadastraleKaart Pro
v2AW V ZSzmnn1y8TSW85q Upgrade naar KadastraleKaart Pro
QmMeVwr4Upgrade naar KadastraleKaart Pro
eTlUn85MFxHUpgrade naar KadastraleKaart Pro
fNX4lK4EnEUpgrade naar KadastraleKaart Pro
FAobU0E ipJYPX66J 4qUpgrade naar KadastraleKaart Pro
wd196O7ybgUpgrade naar KadastraleKaart Pro
0 ZZiu6sQP0HZ4Y7AkoUpgrade naar KadastraleKaart Pro
18/06/2007

Percelen
Gebruik de zoekbalk of klik op een perceel om informatie over het perceel te bekijken.