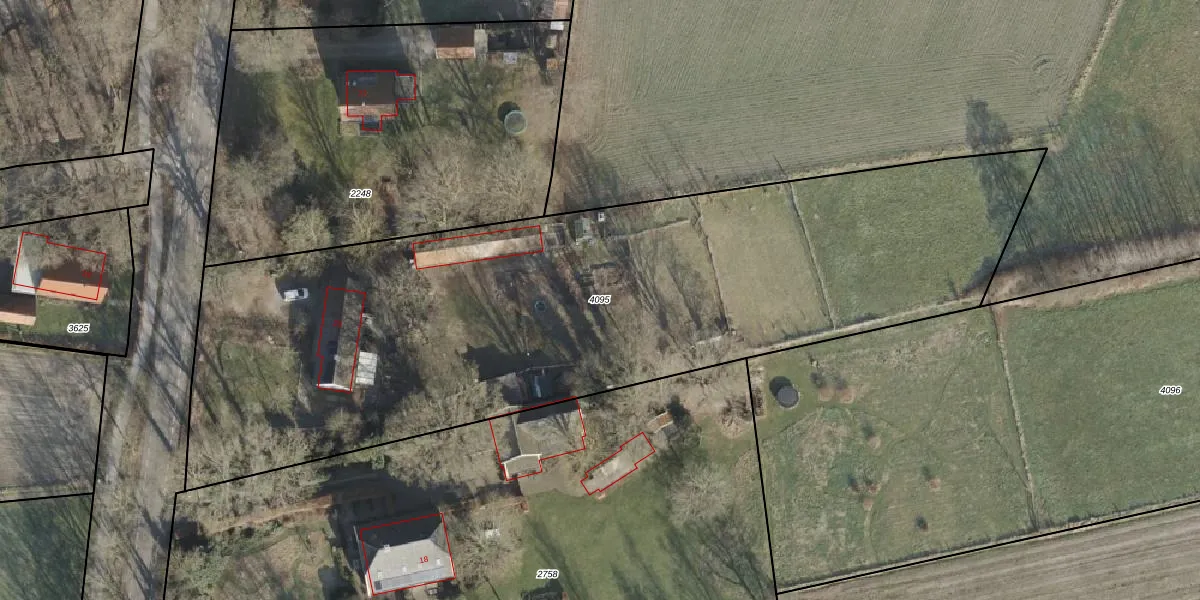
Perceel: OLS00-E-4095
4.160 m2 - 344 m
Eigenaar opvragen
OLS00-E-4095 (Olst)
- 8121 PT
9hb5pKVvrnkkdN52k sfzOcY67UxxuUpgrade naar KadastraleKaart Pro
Verkoopprijs opvragen
Bekijk op Street View
Download DWG/DXF/Excel
O8UoU9Jo51Zl Z mVUpgrade naar KadastraleKaart Pro
d0uHjlJGh wE98kUpgrade naar KadastraleKaart Pro
30rOSU TSU4tgHUpgrade naar KadastraleKaart Pro
m9Cz61r Qxix GUpgrade naar KadastraleKaart Pro
ElBv 6v g AW85wk8BgL Upgrade naar KadastraleKaart Pro
nsIDBwpIUpgrade naar KadastraleKaart Pro
kuoq udNX 5VQcs1QCdg48xUpgrade naar KadastraleKaart Pro
j 2 yngZ 7Upgrade naar KadastraleKaart Pro
0A kAzOvBAUpgrade naar KadastraleKaart Pro
WnusaOZgJ GAx7loSUpgrade naar KadastraleKaart Pro
19/05/2014

Percelen
Gebruik de zoekbalk of klik op een perceel om informatie over het perceel te bekijken.