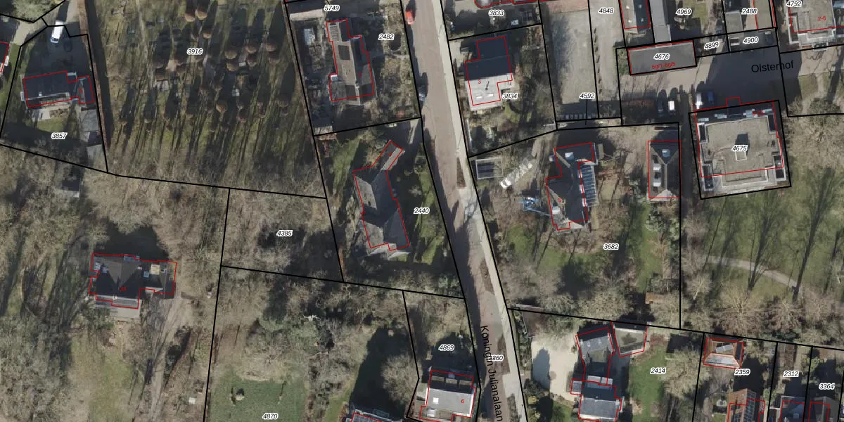
Perceel: OLS00-F-2440
KadastraleKaart.com kan meer dan je denktOntdek meer ›
Filter op bestemming 50+ datasets Eigendomsdata in één klik Percelen CRM
1.050 m2 - 135 m
Eigenaar opvragen
OLS00-F-2440 (Olst)
- 8121 BD
adQCYw3SpBzlVgU 2 ZK82wli7Upgrade naar KadastraleKaart Pro
Verkoopprijs opvragen
Bekijk op Street View
Download DWG/DXF/Excel
Azwi0h7AhUpgrade naar KadastraleKaart Pro
6oUGAp5GvRljLv41 vvrJthUpgrade naar KadastraleKaart Pro
XcCGVdpBCeaW 9zrD8 cMUpgrade naar KadastraleKaart Pro
svz3H287Upgrade naar KadastraleKaart Pro
0tw jlb7V9xDUpgrade naar KadastraleKaart Pro
nYTpMRmXlWyHBsj2gPo4 aUpgrade naar KadastraleKaart Pro
P 6lHcG3vWLGHgSN IUpgrade naar KadastraleKaart Pro
ZgQp v uBJv1Bn d1H1tN2jUpgrade naar KadastraleKaart Pro
iWN2MW8RtkYfmbVG3 hQMUpgrade naar KadastraleKaart Pro
P JPeA5rI8oahXUpgrade naar KadastraleKaart Pro
22/07/2009

Percelen
Gebruik de zoekbalk of klik op een perceel om informatie over het perceel te bekijken.