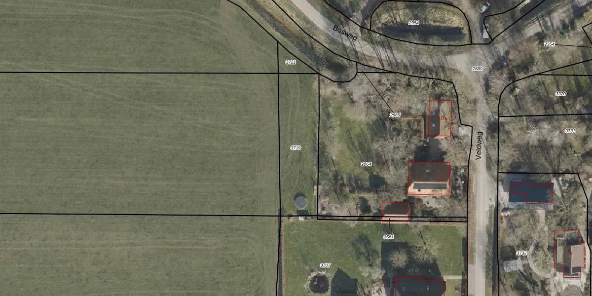
Perceel: OLS00-G-3719
KadastraleKaart.com kan meer dan je denktOntdek meer ›
Filter op bestemming 50+ datasets Eigendomsdata in één klik Percelen CRM
Geen adressen bij dit perceel
626 m2 - 122 m
Eigenaar opvragen
OLS00-G-3719 (Olst)
- Geen postcode aanwezig
Qv38zolJy5I9 utfakIx uDI5Ipe1AUpgrade naar KadastraleKaart Pro
Bekijk op Street View
Download DWG/DXF/Excel
Hh8ZlGdZKIUpgrade naar KadastraleKaart Pro
4rPRxjVDNKVUpgrade naar KadastraleKaart Pro
qdq 3 NzWws Upgrade naar KadastraleKaart Pro
TUqY pbLmz Dg2s 0MqpyUpgrade naar KadastraleKaart Pro
mPP NC40Upgrade naar KadastraleKaart Pro
CcbuwBMuUV8JXexRFvrUPUpgrade naar KadastraleKaart Pro
RJtmYNTrt63r2XDbrW 2 sUpgrade naar KadastraleKaart Pro
YjA gVgMNagrmm7Upgrade naar KadastraleKaart Pro
oQ4bdGBe7kZ8OdqcK39GHsUpgrade naar KadastraleKaart Pro
HpItuYt4BR4B8Iz1EUpgrade naar KadastraleKaart Pro
27/09/2021

Percelen
Gebruik de zoekbalk of klik op een perceel om informatie over het perceel te bekijken.