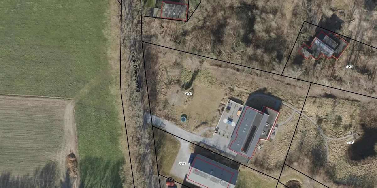
Perceel: OLS00-H-3849
KadastraleKaart.com kan meer dan je denktOntdek meer ›
Filter op bestemming 50+ datasets Eigendomsdata in één klik Percelen CRM
3.950 m2 - 265 m
Eigenaar opvragen
OLS00-H-3849 (Olst)
- 8121 RL
Pl ZuVQF6yqbSvb68BZo0cjv9AUpgrade naar KadastraleKaart Pro
Verkoopprijs opvragen
Bekijk op Street View
Download DWG/DXF/Excel
w0CCD 17zmGcxL1ehUpgrade naar KadastraleKaart Pro
hzwQM0EnUpgrade naar KadastraleKaart Pro
WzXYZ1xj7aSUrLnvtsgiNN Upgrade naar KadastraleKaart Pro
kfRf0vtW3Upgrade naar KadastraleKaart Pro
yW1YL1A78qaR odeUpgrade naar KadastraleKaart Pro
m leQVD Vmfd8Yd 9 Upgrade naar KadastraleKaart Pro
ZREvxG6itUpgrade naar KadastraleKaart Pro
eaulOI lwj1shYQ8L Upgrade naar KadastraleKaart Pro
O7A ajiEUpgrade naar KadastraleKaart Pro
u1B3xAZ9Upgrade naar KadastraleKaart Pro
15/07/2015

Percelen
Gebruik de zoekbalk of klik op een perceel om informatie over het perceel te bekijken.