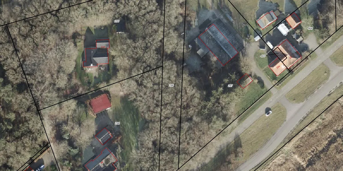
Perceel: OMN01-O-296
KadastraleKaart.com kan meer dan je denktOntdek meer ›
Filter op bestemming 50+ datasets Eigendomsdata in één klik Percelen CRM
Geen adressen bij dit perceel
1.386 m2 - 264 m
Eigenaar opvragen
OMN01-O-296 (Ambt-Ommen)
- Geen postcode aanwezig
ZlX avI1o7 1sO jaUWkle ZomjQ4Upgrade naar KadastraleKaart Pro
Bekijk op Street View
Download DWG/DXF/Excel
bjO ShyFqDk2JYUpgrade naar KadastraleKaart Pro
dQCT7zDanS8HkyZwcCBozUpgrade naar KadastraleKaart Pro
Y jEg63WgI5FEUpgrade naar KadastraleKaart Pro
Fe2lAulsZhndpRv 9BXIlUpgrade naar KadastraleKaart Pro
zAHGeLMWoe8TUpgrade naar KadastraleKaart Pro
FCs 5qNlHV HfRbm 3VrvpNUpgrade naar KadastraleKaart Pro
0nRV6v8FUpgrade naar KadastraleKaart Pro
NvqJp6FzF2IRFQvL5VfUpgrade naar KadastraleKaart Pro
iBiZXYhKUpgrade naar KadastraleKaart Pro
dMi4NRbmK6 Upgrade naar KadastraleKaart Pro
24/02/2006

Percelen
Gebruik de zoekbalk of klik op een perceel om informatie over het perceel te bekijken.