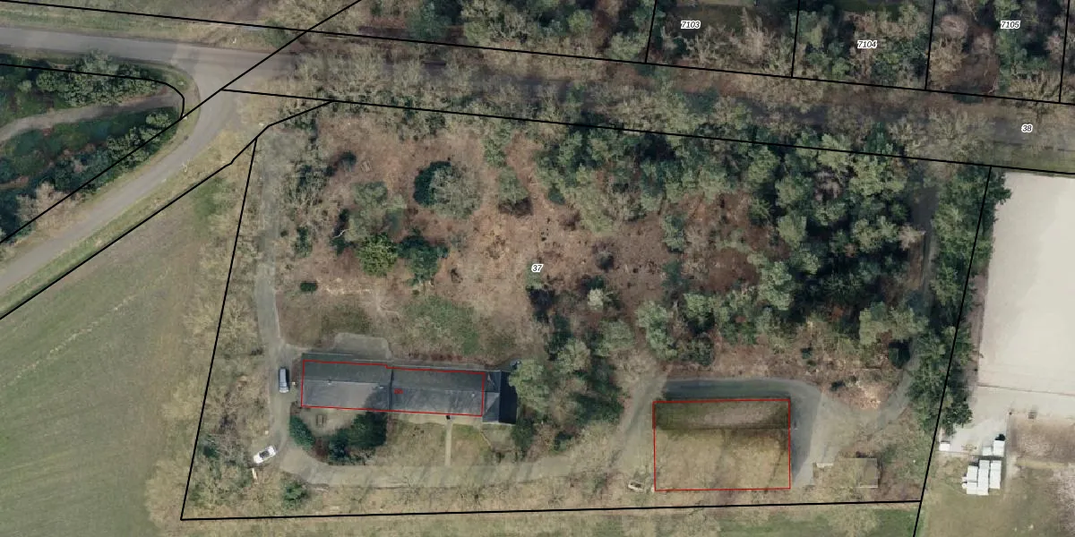
Perceel: OMN01-R-37
KadastraleKaart.com kan meer dan je denktOntdek meer ›
Filter op bestemming 50+ datasets Eigendomsdata in één klik Percelen CRM
9.690 m2 - 413 m
Eigenaar opvragen
OMN01-R-37 (Ambt-Ommen)
- 8148 SB
zV2ImmMXRq9lpv4t PUpgrade naar KadastraleKaart Pro
Verkoopprijs opvragen
Bekijk op Street View
Download DWG/DXF/Excel
2V8HYwDdNUpgrade naar KadastraleKaart Pro
OzVc4vabUpgrade naar KadastraleKaart Pro
U Wf FT2tUpgrade naar KadastraleKaart Pro
5 PBU1hRl0OBUpgrade naar KadastraleKaart Pro
mthxfVjfCXYrE88KUpgrade naar KadastraleKaart Pro
wFcfRn2UQ4gIDtUpgrade naar KadastraleKaart Pro
nG5 tUKAR6eJsMUpgrade naar KadastraleKaart Pro
1uYMiP GJyUpgrade naar KadastraleKaart Pro
N4OZQZJOGQW47TWP5Upgrade naar KadastraleKaart Pro
JQflt5yxhV567Hf Upgrade naar KadastraleKaart Pro
21/02/2005

Percelen
Gebruik de zoekbalk of klik op een perceel om informatie over het perceel te bekijken.