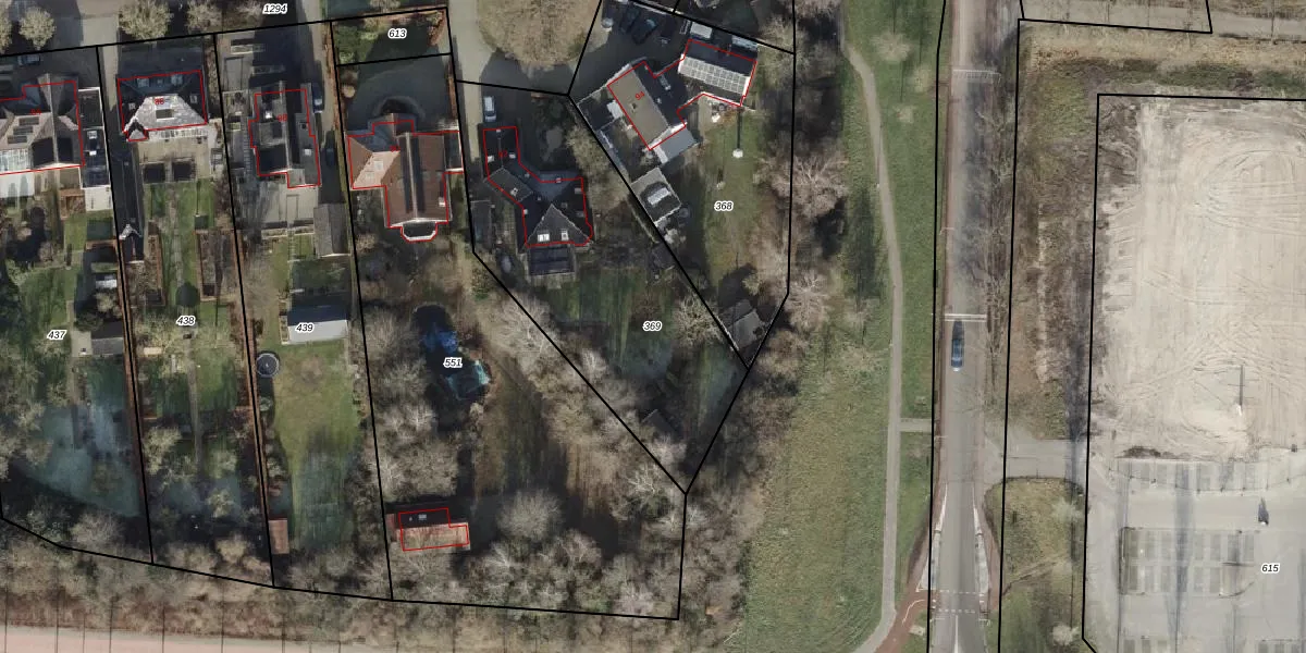
Perceel: OMN02-E-369
KadastraleKaart.com kan meer dan je denktOntdek meer ›
Filter op bestemming 50+ datasets Eigendomsdata in één klik Percelen CRM
1.362 m2 - 165 m
Eigenaar opvragen
OMN02-E-369 (Stad-Ommen)
- 7731 SG
YjVL2sRRJ5NWmhs etUpgrade naar KadastraleKaart Pro
Bekijk op Street View
Download DWG/DXF/Excel
afXe7TJszLKYKBFQPXQUpgrade naar KadastraleKaart Pro
2P UeR8y6Upgrade naar KadastraleKaart Pro
sC0Yj9UjfYGXUT7f Upgrade naar KadastraleKaart Pro
y6TrGeiwexnR0V78L9NlAQUpgrade naar KadastraleKaart Pro
ZQp7wAbtMwKDAccDf5pUpgrade naar KadastraleKaart Pro
tcvuti4h4nUpgrade naar KadastraleKaart Pro
orSv5xXFN py Cp cUpgrade naar KadastraleKaart Pro
WcTzn1exBBvUpgrade naar KadastraleKaart Pro
oleNaaEsmPg5Upgrade naar KadastraleKaart Pro
B3k 90czMFJ EKJWkUpgrade naar KadastraleKaart Pro
05/12/2005

Percelen
Gebruik de zoekbalk of klik op een perceel om informatie over het perceel te bekijken.