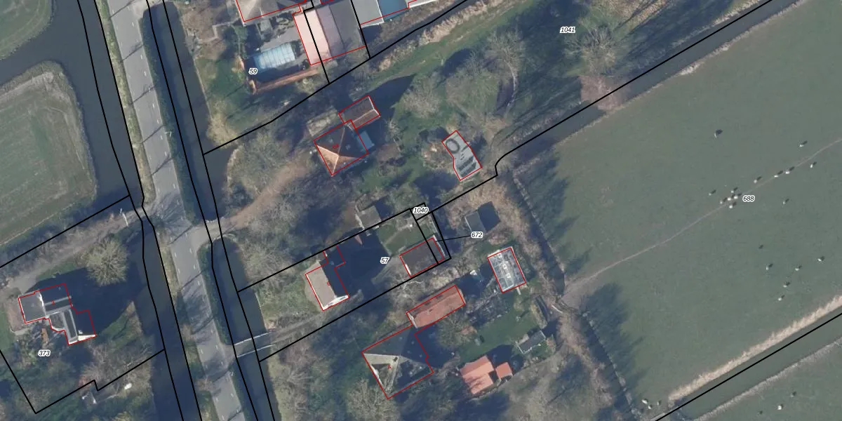
Perceel: OMR01-W-1040
Geen adressen bij dit perceel
10 m2 - 13 m
Eigenaar opvragen
OMR01-W-1040 (Opmeer)
- Geen postcode aanwezig
wp5mXksor7BNVeQrhQJUpgrade naar KadastraleKaart Pro
Bekijk op Street View
Download DWG/DXF/Excel
JoLp a7AzD9 4lceRYOLUpgrade naar KadastraleKaart Pro
MmAwAKOOT IM5P5Vv9Upgrade naar KadastraleKaart Pro
94l9tdu AJltTgSi0ONcNZUpgrade naar KadastraleKaart Pro
U2oOoUNXdPJ61 Upgrade naar KadastraleKaart Pro
8qLDUSUNnhUpgrade naar KadastraleKaart Pro
zev t ngF8G8CnM2cO WUpgrade naar KadastraleKaart Pro
AJQsFo2lk OUpgrade naar KadastraleKaart Pro
nhWp1a s 7AoqW hmr66Upgrade naar KadastraleKaart Pro
pe5YhjwcQNq4Upgrade naar KadastraleKaart Pro
wdb Rr HzyUpgrade naar KadastraleKaart Pro
07/01/2016

Percelen
Gebruik de zoekbalk of klik op een perceel om informatie over het perceel te bekijken.