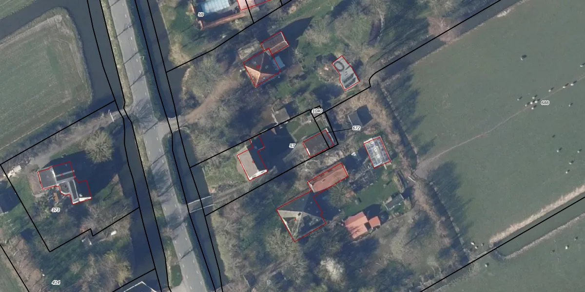
Perceel: OMR01-W-57
KadastraleKaart.com kan meer dan je denktOntdek meer ›
Filter op bestemming 50+ datasets Eigendomsdata in één klik Percelen CRM
745 m2 - 126 m
Eigenaar opvragen
OMR01-W-57 (Opmeer)
- 1718 LJ
CONfyZ3jWeGO yc6YaKSWri8bj9mUpgrade naar KadastraleKaart Pro
Verkoopprijs opvragen
Bekijk op Street View
Download DWG/DXF/Excel
yI8nKN mUpgrade naar KadastraleKaart Pro
ZNTlPi ELs jIZ 6eb4ArUpgrade naar KadastraleKaart Pro
wxCFoXUyaqtUpgrade naar KadastraleKaart Pro
tUhhjAuk2 7 JKRAjspUpgrade naar KadastraleKaart Pro
4RMSgL9t4PSYkUpgrade naar KadastraleKaart Pro
hO LwSHFkUpgrade naar KadastraleKaart Pro
f6yyU4xKzHjFSLhUpgrade naar KadastraleKaart Pro
dLBRYygqTUpgrade naar KadastraleKaart Pro
GydOew3a4ZtEn6vckCKUpgrade naar KadastraleKaart Pro
pazJPaIK1snOJIosUN HvA2Upgrade naar KadastraleKaart Pro
07/01/2016

Percelen
Gebruik de zoekbalk of klik op een perceel om informatie over het perceel te bekijken.