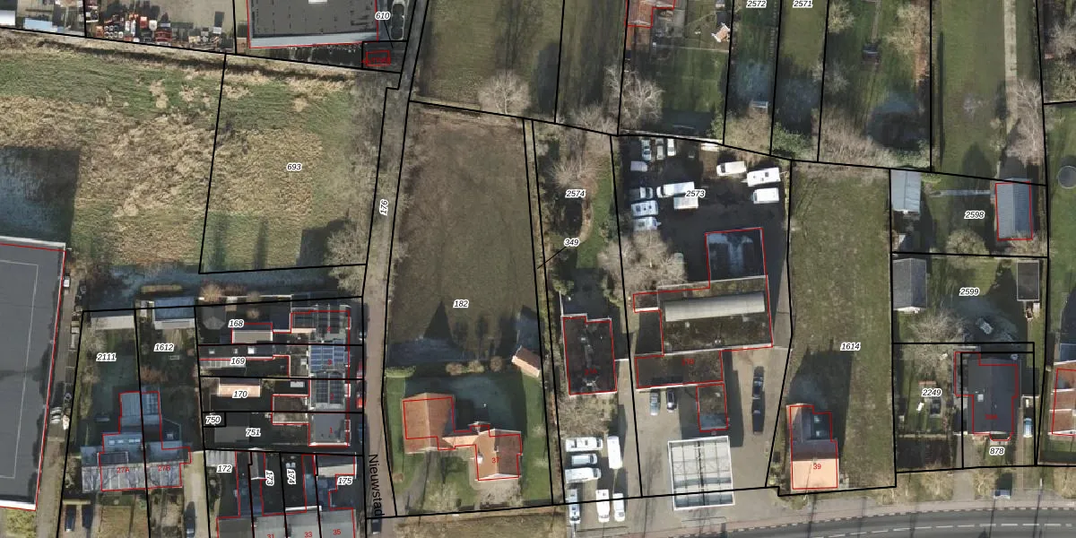
Perceel: OMS00-C-349
KadastraleKaart.com kan meer dan je denktOntdek meer ›
Filter op bestemming 50+ datasets Eigendomsdata in één klik Percelen CRM
Geen adressen bij dit perceel
136 m2 - 148 m
Eigenaar opvragen
OMS00-C-349 (Ootmarsum)
- Geen postcode aanwezig
aYv WBzlj9sPXLkOUpgrade naar KadastraleKaart Pro
Bekijk op Street View
Download DWG/DXF/Excel
90qbOTvS0WhL6IX 7D kvUpgrade naar KadastraleKaart Pro
pelra hu8f60dUpgrade naar KadastraleKaart Pro
KvT BqrBPQUpgrade naar KadastraleKaart Pro
JHH1p 1s NgQp4Upgrade naar KadastraleKaart Pro
jCgofO TX5zBHgVRHysUpgrade naar KadastraleKaart Pro
FnvjdZAMZr6sbUpgrade naar KadastraleKaart Pro
pP ZjN3sDu0 4JUpgrade naar KadastraleKaart Pro
KareNS2QghlWDOcnSnibXlUpgrade naar KadastraleKaart Pro
O53VGLdR26RgUpgrade naar KadastraleKaart Pro
bdxxY QfC9q0TUpgrade naar KadastraleKaart Pro
23/03/2006

Percelen
Gebruik de zoekbalk of klik op een perceel om informatie over het perceel te bekijken.