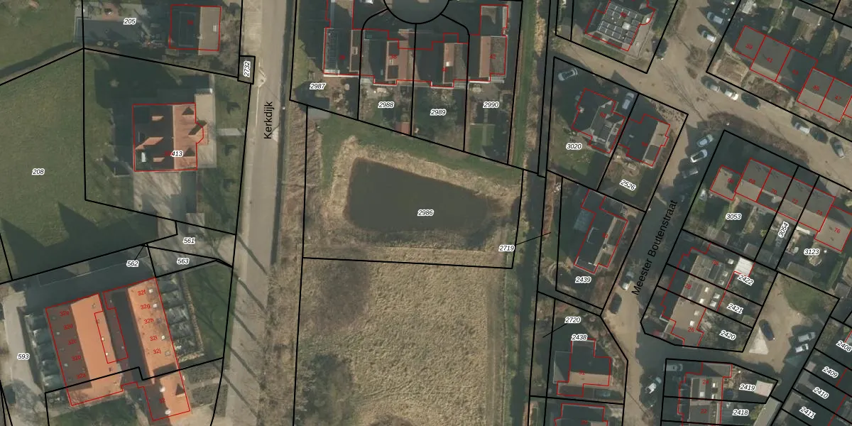
Perceel: OOI00-B-2986
KadastraleKaart.com kan meer dan je denktOntdek meer ›
Filter op bestemming 50+ datasets Eigendomsdata in één klik Percelen CRM
Geen adressen bij dit perceel
1.490 m2 - 161 m
Eigenaar opvragen
OOI00-B-2986 (Ooij)
- Geen postcode aanwezig
0XORgm Us0bjNlIG2y G5j 2X5 yEs8Upgrade naar KadastraleKaart Pro
Bekijk op Street View
Download DWG/DXF/Excel
tm 9 xQ CqY0DUpgrade naar KadastraleKaart Pro
rC E85 vhnxYZ5eNA8WZ1IUpgrade naar KadastraleKaart Pro
Qy tBpj IEstwjxTn8ISmv Upgrade naar KadastraleKaart Pro
i1B7aLMp4zNL lU3Upgrade naar KadastraleKaart Pro
T7dmeDy35YlknqDbHUpgrade naar KadastraleKaart Pro
T GbCni7 56i6 pUpgrade naar KadastraleKaart Pro
Rz3LnrWj 8dhKFyUpgrade naar KadastraleKaart Pro
oTdvaptZFny Upgrade naar KadastraleKaart Pro
QbgHHw9gK9dB8NUpgrade naar KadastraleKaart Pro
DZvhP3pwUpgrade naar KadastraleKaart Pro
16/09/2014

Percelen
Gebruik de zoekbalk of klik op een perceel om informatie over het perceel te bekijken.