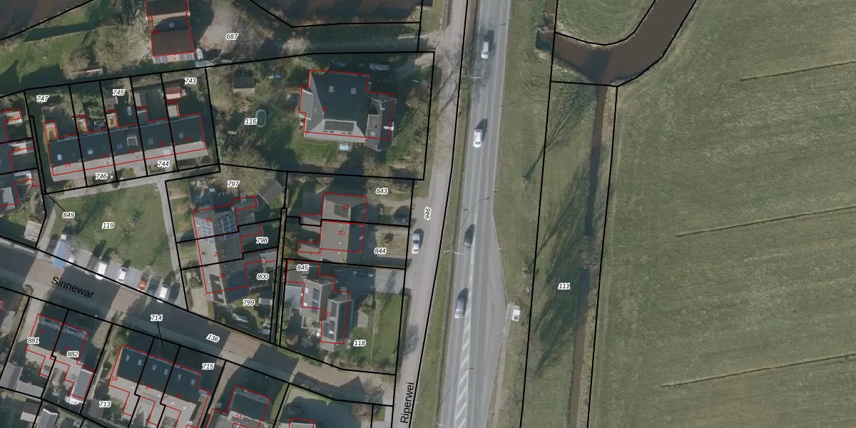
Perceel: OPH00-E-946
KadastraleKaart.com kan meer dan je denktOntdek meer ›
Filter op bestemming 50+ datasets Eigendomsdata in één klik Percelen CRM
Geen adressen bij dit perceel
890 m2 - 339 m
Eigenaar opvragen
OPH00-E-946 (Oppenhuizen)
- Geen postcode aanwezig
6J8djvPzzfaai FhUpgrade naar KadastraleKaart Pro
Bekijk op Street View
Download DWG/DXF/Excel
Upez qKkaXUpgrade naar KadastraleKaart Pro
u3vWSjmPj8gIkoGoa41Upgrade naar KadastraleKaart Pro
xfMmzwGUTw g9dWgwUpgrade naar KadastraleKaart Pro
Ul xC49bBbi nt X6 FrU8NUpgrade naar KadastraleKaart Pro
MNJkSpoMFw cSUpgrade naar KadastraleKaart Pro
tT8RyjNbUUpgrade naar KadastraleKaart Pro
xyrflim0P1NuZcIUyZUpgrade naar KadastraleKaart Pro
7qqhkBX337As JOw VgByUpgrade naar KadastraleKaart Pro
pzW flZcSAZjCpnxGUKzUpgrade naar KadastraleKaart Pro
0E TM3jUpgrade naar KadastraleKaart Pro
11/03/2021

Percelen
Gebruik de zoekbalk of klik op een perceel om informatie over het perceel te bekijken.