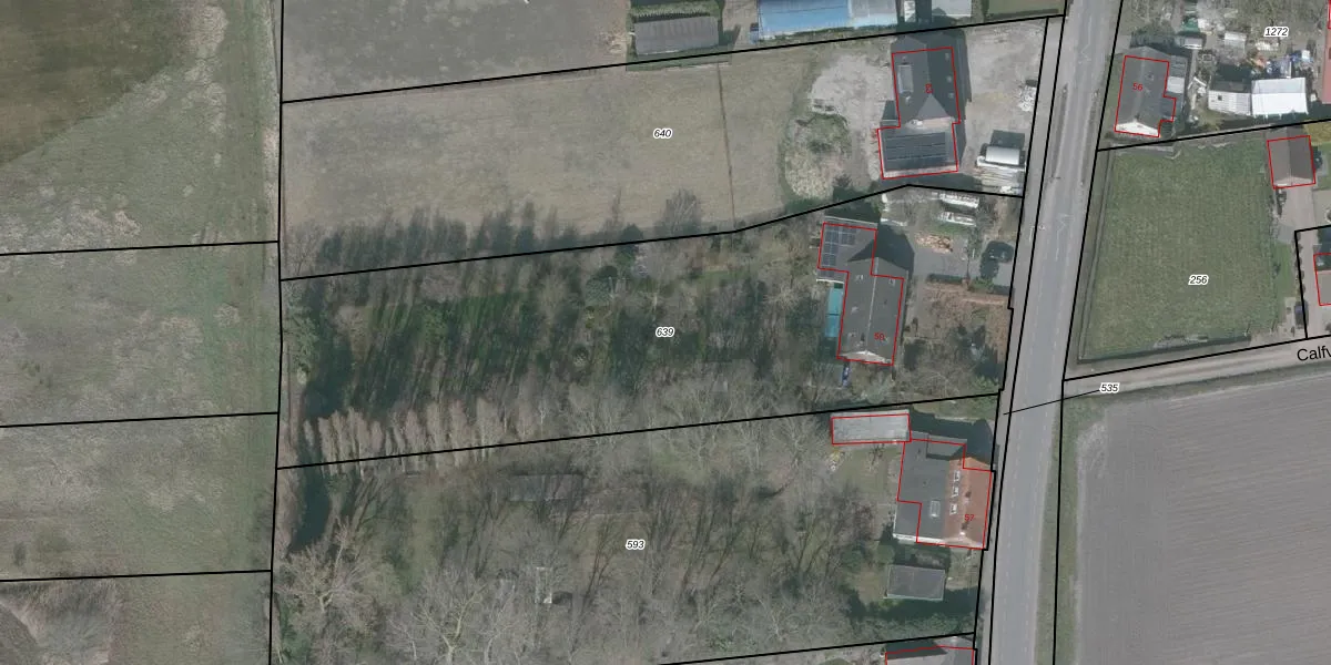
Perceel: OSD00-A-639
KadastraleKaart.com kan meer dan je denktOntdek meer ›
Filter op bestemming 50+ datasets Eigendomsdata in één klik Percelen CRM
3.150 m2 - 282 m
Eigenaar opvragen
OSD00-A-639 (Ossendrecht)
- 4641 RB
Gh GZluHD0zk003xczbBJUpgrade naar KadastraleKaart Pro
Verkoopprijs opvragen
Bekijk op Street View
Download DWG/DXF/Excel
AL8Numoq2Upgrade naar KadastraleKaart Pro
vO5eNfP reJTVGr2uaUpgrade naar KadastraleKaart Pro
OYcfdH3iIXnBM5Lygxh2q4EUpgrade naar KadastraleKaart Pro
Bmy3ZtkPcp1b8 u XfYf7GlUpgrade naar KadastraleKaart Pro
lKIaVdqP3BOcUqYHGxIVUpgrade naar KadastraleKaart Pro
e0uD8PI Q1nGhpGp6NN7mUpgrade naar KadastraleKaart Pro
Pd9 cjIWa7bTOZIUpgrade naar KadastraleKaart Pro
sbKSHOrMYZUpgrade naar KadastraleKaart Pro
NQ5 2wkMQDf4kt0Y56mpUpgrade naar KadastraleKaart Pro
UDHWo0rH 2vEdP6bKxjN3UUpgrade naar KadastraleKaart Pro
25/05/2005

Percelen
Gebruik de zoekbalk of klik op een perceel om informatie over het perceel te bekijken.