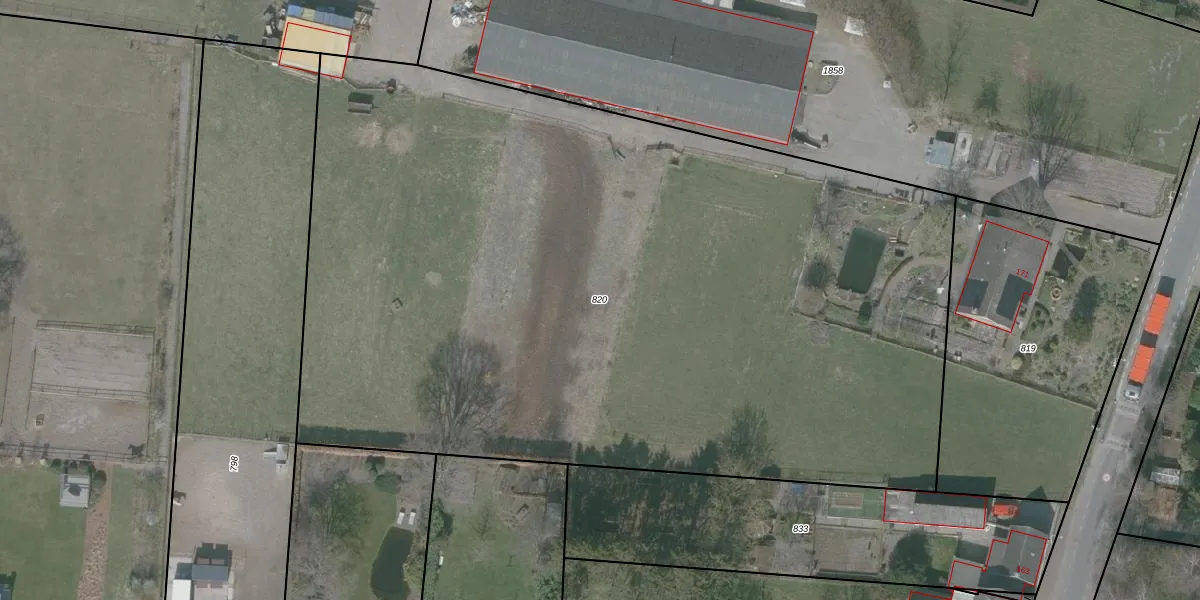
Perceel: OSD00-B-820
KadastraleKaart.com kan meer dan je denktOntdek meer ›
Filter op bestemming 50+ datasets Eigendomsdata in één klik Percelen CRM
Geen adressen bij dit perceel
6.200 m2 - 330 m
Eigenaar opvragen
OSD00-B-820 (Ossendrecht)
- Geen postcode aanwezig
68X0CQSRoKeDG8SLLUpgrade naar KadastraleKaart Pro
Bekijk op Street View
Download DWG/DXF/Excel
P72dxSSUHc2BRt9Upgrade naar KadastraleKaart Pro
wjU6gLL l P vLU Upgrade naar KadastraleKaart Pro
JJHIEv 5bml S9Lv2moUpgrade naar KadastraleKaart Pro
jv2tg4pSonUpgrade naar KadastraleKaart Pro
jv8 vvZQ 0fD0Y7e joUpgrade naar KadastraleKaart Pro
bcCziiosMGO6UbgS K2scUpgrade naar KadastraleKaart Pro
ZtQYAyTJuRDIq9KUpgrade naar KadastraleKaart Pro
9oha62xjRlmfNq46LUpgrade naar KadastraleKaart Pro
qFdcP p xfKxaF6ed6YXplUpgrade naar KadastraleKaart Pro
U Zh4DAuehHYgJoHxi2qWwUpgrade naar KadastraleKaart Pro
16/06/2005

Percelen
Gebruik de zoekbalk of klik op een perceel om informatie over het perceel te bekijken.