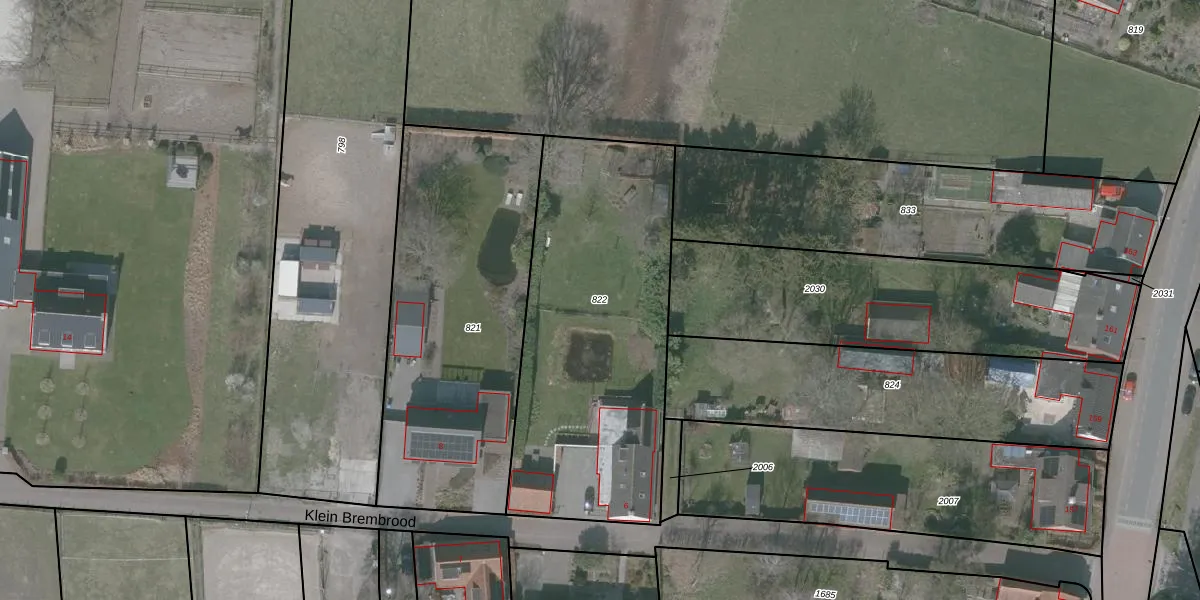
Perceel: OSD00-B-822
KadastraleKaart.com kan meer dan je denktOntdek meer ›
Filter op bestemming 50+ datasets Eigendomsdata in één klik Percelen CRM
1.560 m2 - 175 m
Eigenaar opvragen
OSD00-B-822 (Ossendrecht)
- 4641 RH
cRGOtcnShuw670m3Js11vIUpgrade naar KadastraleKaart Pro
Verkoopprijs opvragen
Bekijk op Street View
Download DWG/DXF/Excel
6ZOLnbFaXJcgDtnI8s1BehnUpgrade naar KadastraleKaart Pro
6WrrD6oxJUpgrade naar KadastraleKaart Pro
n8Bs1xeXIwnUpgrade naar KadastraleKaart Pro
EcQGLiaMZmiUpgrade naar KadastraleKaart Pro
VD2tkfwCPBUpgrade naar KadastraleKaart Pro
nZ2fWu2KyToBPvfEH vsNoUpgrade naar KadastraleKaart Pro
iDCUB4 NXtZNJZpjs iUpgrade naar KadastraleKaart Pro
BU2sXMp5822yoBFsKPUpgrade naar KadastraleKaart Pro
k vtz DIg 9rcth9AgSn4TiUpgrade naar KadastraleKaart Pro
RDh ZAMnXZeIM74rK SJUpgrade naar KadastraleKaart Pro
16/06/2005

Percelen
Gebruik de zoekbalk of klik op een perceel om informatie over het perceel te bekijken.