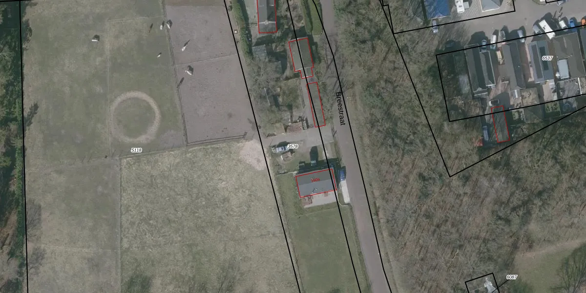
Perceel: OSD00-D-3578
KadastraleKaart.com kan meer dan je denktOntdek meer ›
Filter op bestemming 50+ datasets Eigendomsdata in één klik Percelen CRM
2.280 m2 - 269 m
Eigenaar opvragen
OSD00-D-3578 (Ossendrecht)
- 4641 RV
gdCl1ySZnO07MN qZy9Q 1Upgrade naar KadastraleKaart Pro
Verkoopprijs opvragen
Bekijk op Street View
Download DWG/DXF/Excel
6Bi7bzrszR3ZevPQIqoUf8Upgrade naar KadastraleKaart Pro
3BnmU18eavUQTUpgrade naar KadastraleKaart Pro
HF jmb7 pEKDCP5cAXFrNUpgrade naar KadastraleKaart Pro
D XBpZ qoQein A21wUpgrade naar KadastraleKaart Pro
s58B 6vwXv0vVUpgrade naar KadastraleKaart Pro
nsmPn iKXUpgrade naar KadastraleKaart Pro
f r8cvB6TEJUpgrade naar KadastraleKaart Pro
p8dt7Hd09Upgrade naar KadastraleKaart Pro
HtQuo8cUUpgrade naar KadastraleKaart Pro
YLbS 6 avOUpgrade naar KadastraleKaart Pro
03/02/2006

Percelen
Gebruik de zoekbalk of klik op een perceel om informatie over het perceel te bekijken.