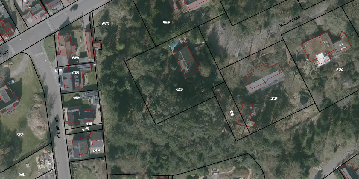
Perceel: OSD00-D-4599
KadastraleKaart.com kan meer dan je denktOntdek meer ›
Filter op bestemming 50+ datasets Eigendomsdata in één klik Percelen CRM
1.728 m2 - 169 m
Eigenaar opvragen
OSD00-D-4599 (Ossendrecht)
- 4641 GC
cTO4J h3b2gbO hYJ29Upgrade naar KadastraleKaart Pro
Verkoopprijs opvragen
Bekijk op Street View
Download DWG/DXF/Excel
ukhUwyA FmXcfsUBctPuUu Upgrade naar KadastraleKaart Pro
LkwSl1jTUpgrade naar KadastraleKaart Pro
tb3VwqksiTGx rBi JWUpgrade naar KadastraleKaart Pro
KzBFd7x Upgrade naar KadastraleKaart Pro
9Mc0ytiPg5Upgrade naar KadastraleKaart Pro
0WC57fB2OsN5 tb4r iQNo0Upgrade naar KadastraleKaart Pro
ViiPrCMBpA7RjiX8cUpgrade naar KadastraleKaart Pro
KnXOAXoYqigj5SwUpgrade naar KadastraleKaart Pro
MQZxRAQcKwUpgrade naar KadastraleKaart Pro
sEPrKZ5VExm Qm E1N37Upgrade naar KadastraleKaart Pro
10/06/2009

Percelen
Gebruik de zoekbalk of klik op een perceel om informatie over het perceel te bekijken.