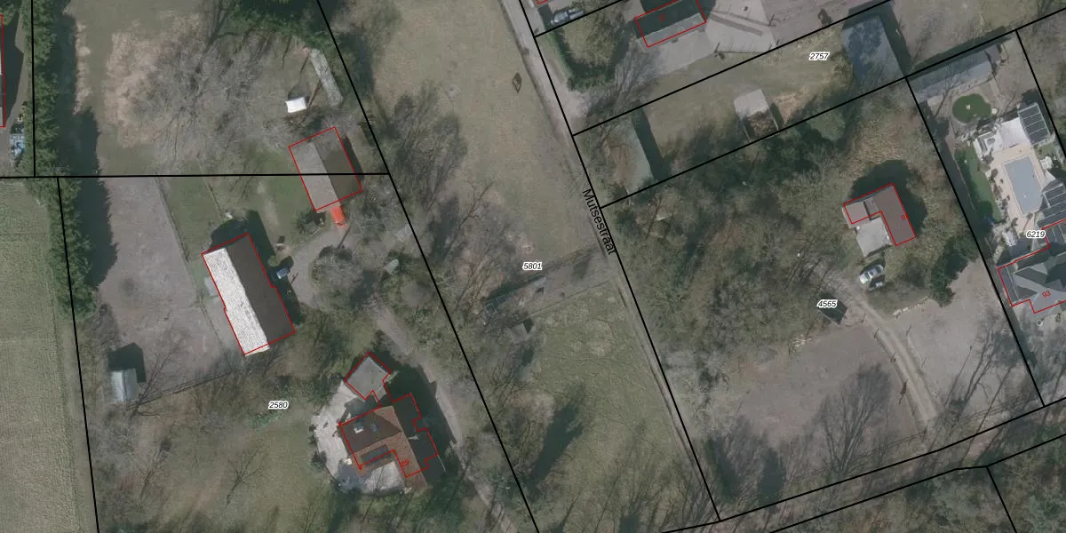
Perceel: OSD00-D-5801
KadastraleKaart.com kan meer dan je denktOntdek meer ›
Filter op bestemming 50+ datasets Eigendomsdata in één klik Percelen CRM
Geen adressen bij dit perceel
4.060 m2 - 306 m
Eigenaar opvragen
OSD00-D-5801 (Ossendrecht)
- Geen postcode aanwezig
qqa1uKe3L0XJJPb901KFpvyUpgrade naar KadastraleKaart Pro
Bekijk op Street View
Download DWG/DXF/Excel
McTZmZJ0A05F2GNLiKnUpgrade naar KadastraleKaart Pro
zJrA2QPNeUpgrade naar KadastraleKaart Pro
ujOCu Ye89j2lZwkwUpgrade naar KadastraleKaart Pro
qMVirnk2MR6Upgrade naar KadastraleKaart Pro
QZXFRZJHgPiUpgrade naar KadastraleKaart Pro
Zr53y h 7 cuNb2X86GlTkUpgrade naar KadastraleKaart Pro
BrGh KOA Upgrade naar KadastraleKaart Pro
7n 8 2ukk0R 62WHilm3KUpgrade naar KadastraleKaart Pro
pnzUw96TOQqUpgrade naar KadastraleKaart Pro
qyeG7gJ a ImNcm W VUpgrade naar KadastraleKaart Pro
28/11/2009

Percelen
Gebruik de zoekbalk of klik op een perceel om informatie over het perceel te bekijken.