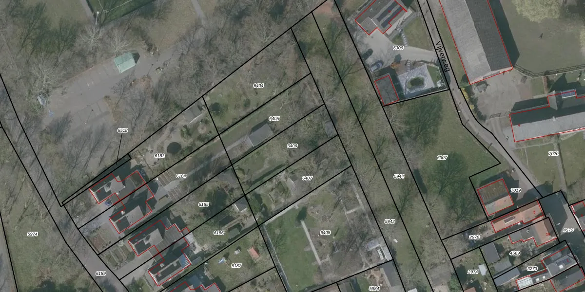
Perceel: OSD00-D-6406
KadastraleKaart.com kan meer dan je denktOntdek meer ›
Filter op bestemming 50+ datasets Eigendomsdata in één klik Percelen CRM
Geen adressen bij dit perceel
430 m2 - 99 m
Eigenaar opvragen
OSD00-D-6406 (Ossendrecht)
- Geen postcode aanwezig
SIS3e4nT8DqB0gbIcgb7tUpgrade naar KadastraleKaart Pro
Bekijk op Street View
Download DWG/DXF/Excel
1MMUciZPLm7 RpZ8u9DiUpgrade naar KadastraleKaart Pro
ImHZuw89d3qSb6wFXC8Upgrade naar KadastraleKaart Pro
9j 3Bc 1rkQQcDo78EcY6HFUpgrade naar KadastraleKaart Pro
wwSV bGazEiNUpgrade naar KadastraleKaart Pro
43 znekUpgrade naar KadastraleKaart Pro
wOF85nou JMuc7CGRZSUpgrade naar KadastraleKaart Pro
YHLb0 qTh8 C2GV9JOz dUpgrade naar KadastraleKaart Pro
BDssl cbDkc9eXFSY50FQUpgrade naar KadastraleKaart Pro
P x K2otmljqq0H3E6qUpgrade naar KadastraleKaart Pro
jXKoY7ju EU gBUpgrade naar KadastraleKaart Pro
02/06/2005

Percelen
Gebruik de zoekbalk of klik op een perceel om informatie over het perceel te bekijken.