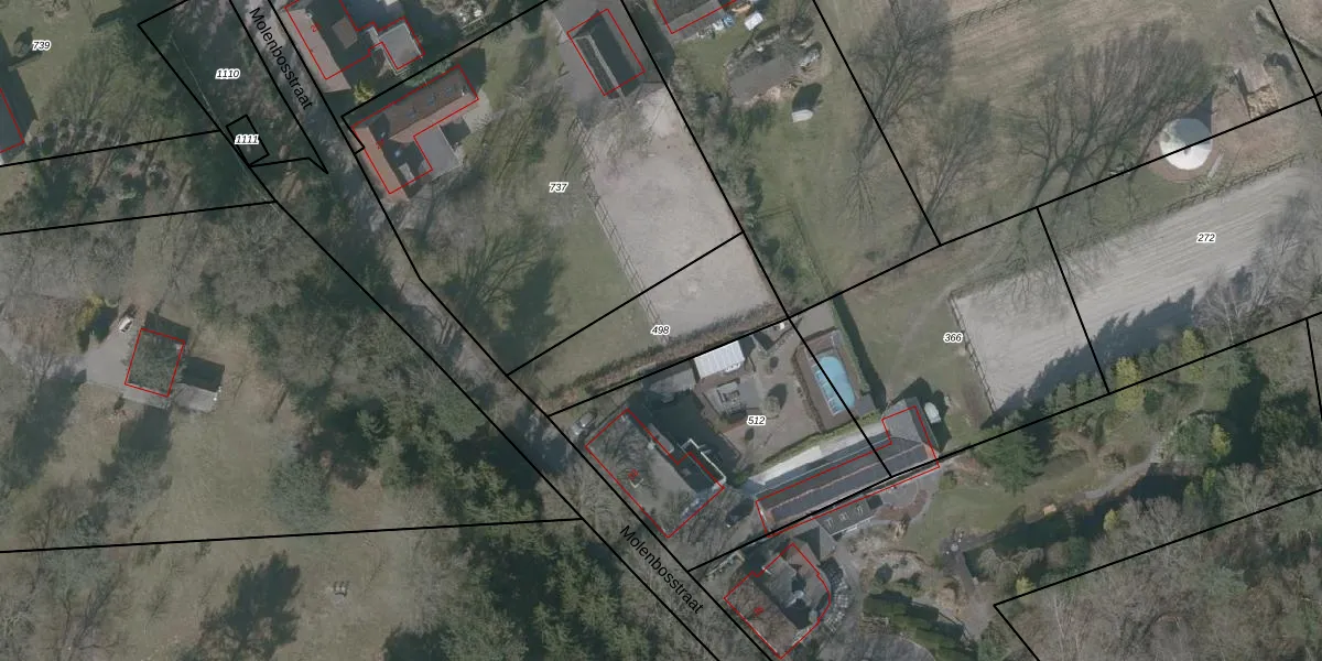
Perceel: OSD00-E-498
KadastraleKaart.com kan meer dan je denktOntdek meer ›
Filter op bestemming 50+ datasets Eigendomsdata in één klik Percelen CRM
Geen adressen bij dit perceel
475 m2 - 105 m
Eigenaar opvragen
OSD00-E-498 (Ossendrecht)
- Geen postcode aanwezig
m v c pNva bWZWo X bvKnA8r97 Upgrade naar KadastraleKaart Pro
Bekijk op Street View
Download DWG/DXF/Excel
UtIbnBYbJpfXsT ZW511Upgrade naar KadastraleKaart Pro
gH30yy5UUpgrade naar KadastraleKaart Pro
BPN4hj vS94pUpgrade naar KadastraleKaart Pro
y6hQMPz0Uw7Y Vfzhx8H Upgrade naar KadastraleKaart Pro
a 1QuTZMg7ox1omX60IZUpgrade naar KadastraleKaart Pro
iRyBLS9 DWeY7Upgrade naar KadastraleKaart Pro
gp RJj3QSZNE7cK6rUpgrade naar KadastraleKaart Pro
1uaag5NhcUpgrade naar KadastraleKaart Pro
OQ1 NPIffaghA OoBUpgrade naar KadastraleKaart Pro
w OFD5cKNIse nhcrcWUUpgrade naar KadastraleKaart Pro
26/05/2005

Percelen
Gebruik de zoekbalk of klik op een perceel om informatie over het perceel te bekijken.