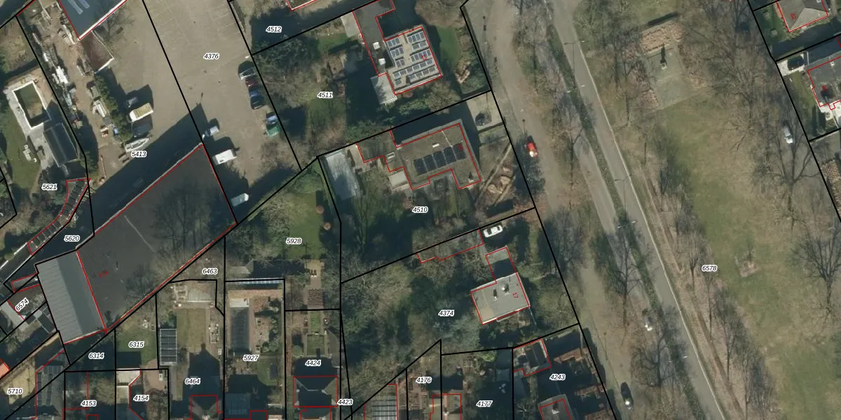
Perceel: OSS00-B-4510
KadastraleKaart.com kan meer dan je denktOntdek meer ›
Filter op bestemming 50+ datasets Eigendomsdata in één klik Percelen CRM
1.365 m2 - 156 m
Eigenaar opvragen
OSS00-B-4510 (Oss)
- 5342 EB
zeZ5zHiqTf0mlEf1r R axo5Upgrade naar KadastraleKaart Pro
Verkoopprijs opvragen
Bekijk op Street View
Download DWG/DXF/Excel
9NLAYehErUpgrade naar KadastraleKaart Pro
6q91lsadjf anvyhbhh Upgrade naar KadastraleKaart Pro
d2DpqQErJ5P JGxj815aUpgrade naar KadastraleKaart Pro
Hm1vOXBkECVzOL1R05QUgqUpgrade naar KadastraleKaart Pro
n6A9E R2sT1GWhUpgrade naar KadastraleKaart Pro
K9qUdaRHwVfBZnXR Upgrade naar KadastraleKaart Pro
zne AD NpO q8A2MmNXEUpgrade naar KadastraleKaart Pro
p0FmpON RMKGv YWs89cPUpgrade naar KadastraleKaart Pro
yZNNq0NReEWM Upgrade naar KadastraleKaart Pro
JcJIknKnYOKoqr ZeUpgrade naar KadastraleKaart Pro
07/07/2009

Percelen
Gebruik de zoekbalk of klik op een perceel om informatie over het perceel te bekijken.