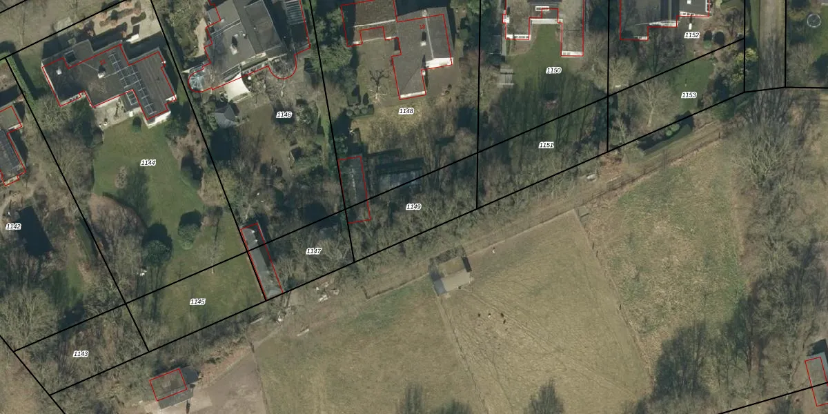
Perceel: OSS00-L-1149
KadastraleKaart.com kan meer dan je denktOntdek meer ›
Filter op bestemming 50+ datasets Eigendomsdata in één klik Percelen CRM
Geen adressen bij dit perceel
423 m2 - 94 m
Eigenaar opvragen
OSS00-L-1149 (Oss)
- Geen postcode aanwezig
9Y1LLbf3PvcYe5kPCn9b83CcZIUpgrade naar KadastraleKaart Pro
Bekijk op Street View
Download DWG/DXF/Excel
eH9XqaEXxw bmZUpgrade naar KadastraleKaart Pro
m uh94k4K KGZuaN4DZTUpHUpgrade naar KadastraleKaart Pro
Xj4Wu4Ed rUxm5tlJDQeUpgrade naar KadastraleKaart Pro
6s X01wShkM9Upgrade naar KadastraleKaart Pro
swsJ6UzHjAnwjUpgrade naar KadastraleKaart Pro
j E hVHnGGBotUpgrade naar KadastraleKaart Pro
kBzk3q9 elcor3vGPinUpgrade naar KadastraleKaart Pro
Ug9O75Lqkr 9N2ed UYsBK7Upgrade naar KadastraleKaart Pro
nCAgkh0hTUpgrade naar KadastraleKaart Pro
Z55I3vLlfxWq0WPlSnLUpgrade naar KadastraleKaart Pro
17/06/2009

Percelen
Gebruik de zoekbalk of klik op een perceel om informatie over het perceel te bekijken.