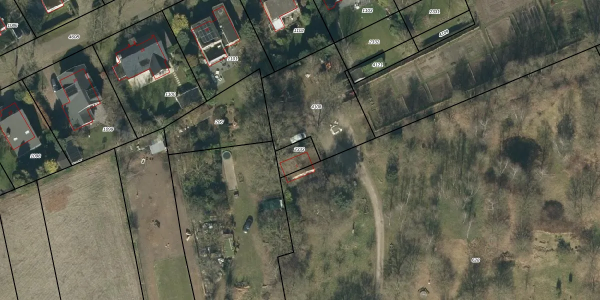
Perceel: OSS00-L-2333
KadastraleKaart.com kan meer dan je denktOntdek meer ›
Filter op bestemming 50+ datasets Eigendomsdata in één klik Percelen CRM
125 m2 - 45 m
Eigenaar opvragen
OSS00-L-2333 (Oss)
- 5343 ET
uMxa4ImwlL9nbIB7 X6PibVDO 6xehUpgrade naar KadastraleKaart Pro
Bekijk op Street View
Download DWG/DXF/Excel
sk9bE3FWiigvFWUpgrade naar KadastraleKaart Pro
mb spMrfpGm6gCCnJwe pUpgrade naar KadastraleKaart Pro
k72eKtCsAUpgrade naar KadastraleKaart Pro
l SPHlC9Upgrade naar KadastraleKaart Pro
zYHfqw fk l5r7uj HkUpgrade naar KadastraleKaart Pro
DJDMHqGdUmUpgrade naar KadastraleKaart Pro
9OTEW XMGD wly yT7Upgrade naar KadastraleKaart Pro
c2tu3P3xAUpgrade naar KadastraleKaart Pro
lYq2Az w5TdT0JbLfCiUUpgrade naar KadastraleKaart Pro
7BynT5tOn2vnr bRUpgrade naar KadastraleKaart Pro
17/06/2009

Percelen
Gebruik de zoekbalk of klik op een perceel om informatie over het perceel te bekijken.