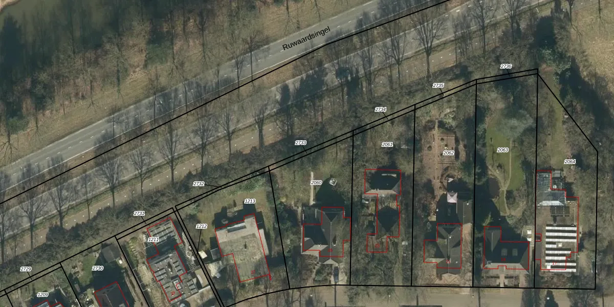
Perceel: OSS00-L-2733
KadastraleKaart.com kan meer dan je denktOntdek meer ›
Filter op bestemming 50+ datasets Eigendomsdata in één klik Percelen CRM
Geen adressen bij dit perceel
45 m2 - 63 m
Eigenaar opvragen
OSS00-L-2733 (Oss)
- Geen postcode aanwezig
Avfb FAbf2Pr0TpujL nvSUpgrade naar KadastraleKaart Pro
Bekijk op Street View
Download DWG/DXF/Excel
1njl2wTs eEElrXcUpgrade naar KadastraleKaart Pro
nfU wYeQoOiz7Upgrade naar KadastraleKaart Pro
cllsNBTXBc LpY eM3VK Upgrade naar KadastraleKaart Pro
1 iKhvqV1DGyo5tdnaNWRUpgrade naar KadastraleKaart Pro
ofjz Lpq uoL2twxyFd9zUpgrade naar KadastraleKaart Pro
XuRJfB ZuUpgrade naar KadastraleKaart Pro
V bwKk I cxUpgrade naar KadastraleKaart Pro
J ubGj2jUpgrade naar KadastraleKaart Pro
F AgahAUpgrade naar KadastraleKaart Pro
i2U9fafDpJAEYf9Upgrade naar KadastraleKaart Pro
16/06/2009

Percelen
Gebruik de zoekbalk of klik op een perceel om informatie over het perceel te bekijken.