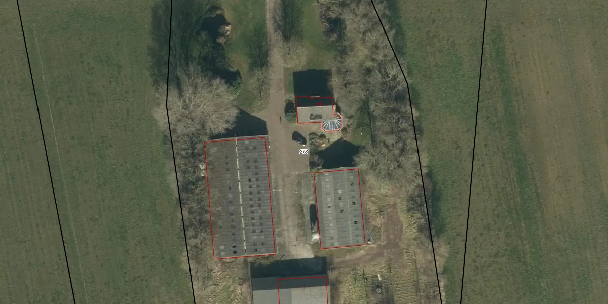
Perceel: OSS00-N-278
KadastraleKaart.com kan meer dan je denktOntdek meer ›
Filter op bestemming 50+ datasets Eigendomsdata in één klik Percelen CRM
10.010 m2 - 403 m
Eigenaar opvragen
OSS00-N-278 (Oss)
- 5345 HT
HJ CZm YPpxj W LJ QZkNiE6XyJlUpgrade naar KadastraleKaart Pro
Bekijk op Street View
Download DWG/DXF/Excel
UrjaNZz1zAGXhY Sz6D7k6Upgrade naar KadastraleKaart Pro
WfW7efNCe9zcUUpgrade naar KadastraleKaart Pro
1ZzyicvknH0yVUpgrade naar KadastraleKaart Pro
e5l43CBJEF pjoUpgrade naar KadastraleKaart Pro
73RDJRTbK5LUpgrade naar KadastraleKaart Pro
8k5QADu G4e S7cle ljUpgrade naar KadastraleKaart Pro
uOTsSHealtIiTb9At 64GPBUpgrade naar KadastraleKaart Pro
q Q9SD5rzavV44drm8nLGUpgrade naar KadastraleKaart Pro
ddYRy f8 mzuDxFJ Upgrade naar KadastraleKaart Pro
f1nM3PXvXfUpgrade naar KadastraleKaart Pro
28/04/2009

Percelen
Gebruik de zoekbalk of klik op een perceel om informatie over het perceel te bekijken.