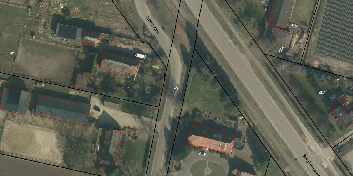
Perceel: OSS00-T-42
KadastraleKaart.com kan meer dan je denktOntdek meer ›
Filter op bestemming 50+ datasets Eigendomsdata in één klik Percelen CRM
Geen adressen bij dit perceel
3.960 m2 - 688 m
Eigenaar opvragen
OSS00-T-42 (Oss)
- Geen postcode aanwezig
c4kQwEow0tHhkADTeaySbbsPFrUpgrade naar KadastraleKaart Pro
Bekijk op Street View
Download DWG/DXF/Excel
rNTKextpKsOUMNG3zuEAtEYUpgrade naar KadastraleKaart Pro
pa6 gbFvUAsA4iUpgrade naar KadastraleKaart Pro
klC4wJ8BCOt4Upgrade naar KadastraleKaart Pro
8PvAX MnpJf86rW9yFGoUpgrade naar KadastraleKaart Pro
RxyOAomb oTQ7TIFS933fUpgrade naar KadastraleKaart Pro
nJx3b3aoLYEAxlTUpgrade naar KadastraleKaart Pro
sjy bts l1VK9pUpgrade naar KadastraleKaart Pro
1S7jt 8B Cttz Gtsi4FEUpgrade naar KadastraleKaart Pro
lKTQux8Zcx4yWnBCdwLUpgrade naar KadastraleKaart Pro
QhrWNqsLE4MUpgrade naar KadastraleKaart Pro
25/10/2021

Percelen
Gebruik de zoekbalk of klik op een perceel om informatie over het perceel te bekijken.