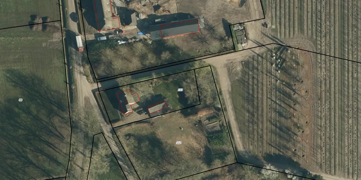
Perceel: OST00-N-113
KadastraleKaart.com kan meer dan je denktOntdek meer ›
Filter op bestemming 50+ datasets Eigendomsdata in één klik Percelen CRM
1.070 m2 - 146 m
Eigenaar opvragen
OST00-N-113 (Oirschot)
- 5688 NR
xgJkwc7vK8 yhV auqx8O32Upgrade naar KadastraleKaart Pro
Bekijk op Street View
Download DWG/DXF/Excel
Z OgseLqOXOGUpgrade naar KadastraleKaart Pro
4xWgXeriUQUpgrade naar KadastraleKaart Pro
q2jNsC4F7E3sd8j9KuzEx1Upgrade naar KadastraleKaart Pro
uloGTcMUFR8Upgrade naar KadastraleKaart Pro
pnzo BA3ZvkUJKvUpgrade naar KadastraleKaart Pro
3R tkTZthwt3HUpgrade naar KadastraleKaart Pro
HOUakz0xP5V5Upgrade naar KadastraleKaart Pro
oYwW4cpuXb4WkeB9dlKZBUpgrade naar KadastraleKaart Pro
3UW9zx wXgYlYI2gMJJjTe6Upgrade naar KadastraleKaart Pro
QqoTxRYG 5sW4qBmMy bUUpgrade naar KadastraleKaart Pro
02/06/2008

Percelen
Gebruik de zoekbalk of klik op een perceel om informatie over het perceel te bekijken.