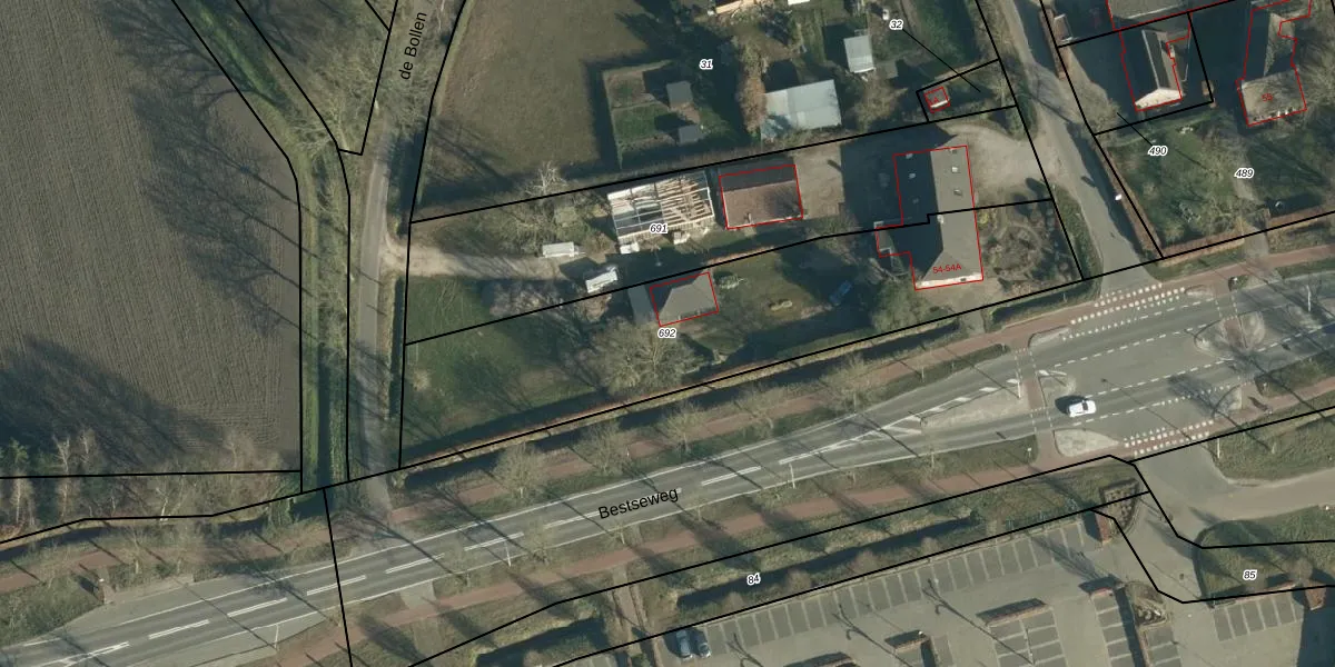
Perceel: OST00-N-692
KadastraleKaart.com kan meer dan je denktOntdek meer ›
Filter op bestemming 50+ datasets Eigendomsdata in één klik Percelen CRM
1.655 m2 - 239 m
Eigenaar opvragen
OST00-N-692 (Oirschot)
- 5688 NP
DyasF pPw0UDHreNn3ksUpgrade naar KadastraleKaart Pro
Bekijk op Street View
Download DWG/DXF/Excel
Bwhl CavhxrStUpgrade naar KadastraleKaart Pro
9T f Qv3OILZCfwjX1Upgrade naar KadastraleKaart Pro
gJd 0TPDsCaabKoYUpgrade naar KadastraleKaart Pro
ab bl2MlVYYX5gfK44wuCUpgrade naar KadastraleKaart Pro
R3cuJ wz j88u HXEHNUpgrade naar KadastraleKaart Pro
wk A K u709tLIVNeUXKUpgrade naar KadastraleKaart Pro
7qrsd7x8za 2jHOfEUpgrade naar KadastraleKaart Pro
nDf1ZveGXUpgrade naar KadastraleKaart Pro
wu WSweFSkUpgrade naar KadastraleKaart Pro
B UgtHRU Upgrade naar KadastraleKaart Pro
06/08/2019

Percelen
Gebruik de zoekbalk of klik op een perceel om informatie over het perceel te bekijken.