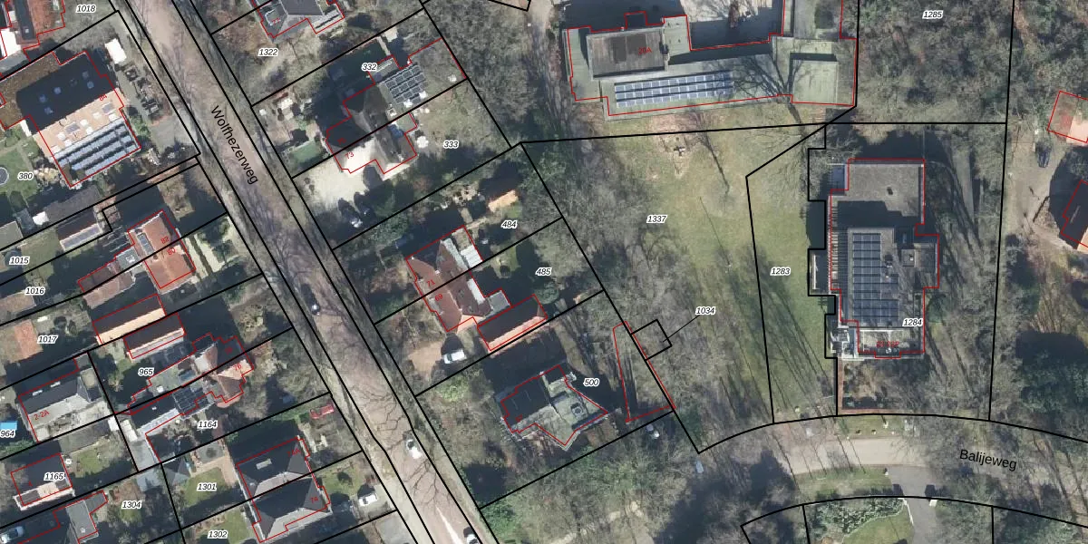
Perceel: OTB00-A-485
620 m2 - 111 m
Eigenaar opvragen
OTB00-A-485 (Oosterbeek)
- 6874 AC
6tItbFLj4rhcCxtauejxzUpgrade naar KadastraleKaart Pro
Verkoopprijs opvragen
Bekijk op Street View
Download DWG/DXF/Excel
GYnXXlRriRdzgdgk4Upgrade naar KadastraleKaart Pro
5oEziVXMLUpgrade naar KadastraleKaart Pro
YofszbOn iNAh4KUpgrade naar KadastraleKaart Pro
SdnvNtQo7Upgrade naar KadastraleKaart Pro
3DVx8Lq2 q WNCWVK TfoUpgrade naar KadastraleKaart Pro
fbvMmlnFpjfX5gUpgrade naar KadastraleKaart Pro
xDU GK G Va2ofdZVUpgrade naar KadastraleKaart Pro
wvfHN74i Zv 1oeVXbySUpgrade naar KadastraleKaart Pro
R69wYHNcH5 hH3EUpgrade naar KadastraleKaart Pro
RQJ 97eOXKLbUpgrade naar KadastraleKaart Pro
29/10/2007

Percelen
Gebruik de zoekbalk of klik op een perceel om informatie over het perceel te bekijken.