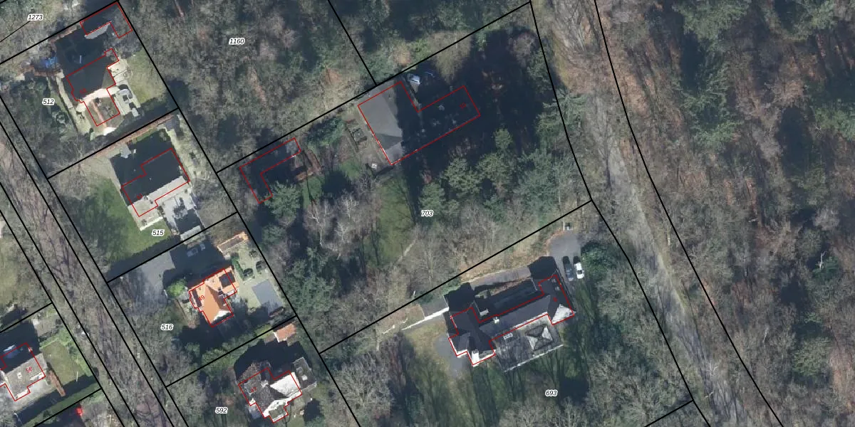
Perceel: OTB00-A-703
3.730 m2 - 255 m
Eigenaar opvragen
OTB00-A-703 (Oosterbeek)
- 6874 AJ
mOG8a33G6zMLJ47zmxeyFUAE XpgWdUpgrade naar KadastraleKaart Pro
Bekijk op Street View
Download DWG/DXF/Excel
ecsbbDBxSf8qUpgrade naar KadastraleKaart Pro
N OSFRln8o89NMk EUpgrade naar KadastraleKaart Pro
wQgsoBcU9V2z7 eo 89AX5Upgrade naar KadastraleKaart Pro
k9QtuyWWYpQDo0oOUpgrade naar KadastraleKaart Pro
sgp2COE 6Upgrade naar KadastraleKaart Pro
Y 8lt1 5OUpgrade naar KadastraleKaart Pro
yEvh3FJL6KM bphSnkIUpgrade naar KadastraleKaart Pro
Dt5uCGCV6ZNTEUpgrade naar KadastraleKaart Pro
hZqARe4BYU7FAz0upXpi1jUpgrade naar KadastraleKaart Pro
sLQIlIGWigX2HlpUzqBbUpgrade naar KadastraleKaart Pro
05/03/2002

Percelen
Gebruik de zoekbalk of klik op een perceel om informatie over het perceel te bekijken.