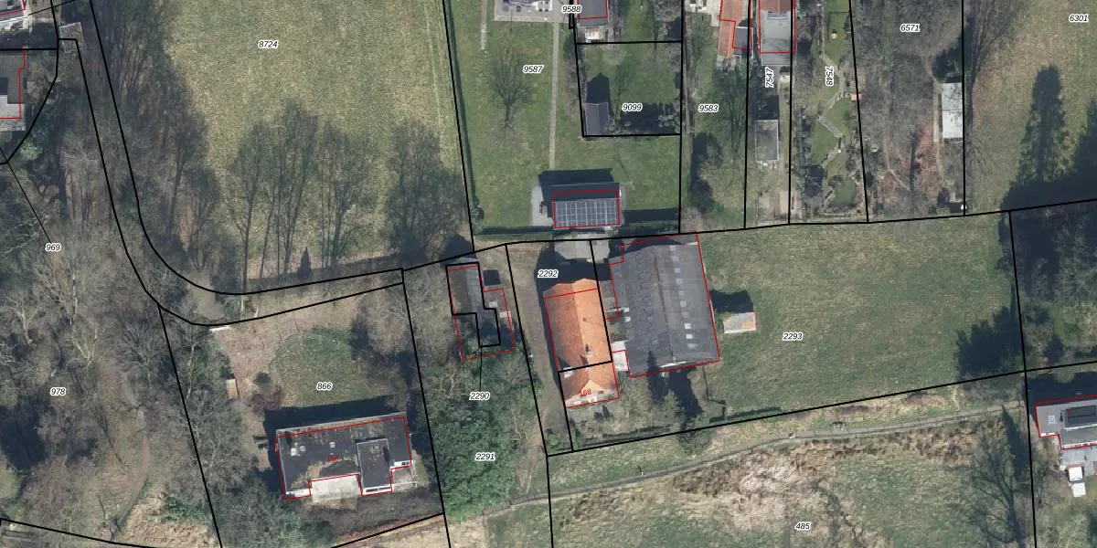
Perceel: OTB00-D-2292
KadastraleKaart.com kan meer dan je denktOntdek meer ›
Filter op bestemming 50+ datasets Eigendomsdata in één klik Percelen CRM
Geen adressen bij dit perceel
420 m2 - 107 m
Eigenaar opvragen
OTB00-D-2292 (Oosterbeek)
- Geen postcode aanwezig
zD hZ58CBbjw3cOW5D28Zcs3gYffl2Upgrade naar KadastraleKaart Pro
Bekijk op Street View
Download DWG/DXF/Excel
TAEuEK WNFFHZRv5af Upgrade naar KadastraleKaart Pro
SOhdZC Y pGKRUpgrade naar KadastraleKaart Pro
3TacJ97KbybIUpgrade naar KadastraleKaart Pro
JZ qzY2sU sUpgrade naar KadastraleKaart Pro
c1F3c3T8xlZDzpsHD0qSWUpgrade naar KadastraleKaart Pro
fDLWV rCYlDOC 8SL iUpgrade naar KadastraleKaart Pro
QBRzOXHq9M80Upgrade naar KadastraleKaart Pro
ZgaE6hkmOAJUpgrade naar KadastraleKaart Pro
xZAi17oPUpgrade naar KadastraleKaart Pro
Yxu55D pjlsWnUpgrade naar KadastraleKaart Pro
21/08/2002

Percelen
Gebruik de zoekbalk of klik op een perceel om informatie over het perceel te bekijken.