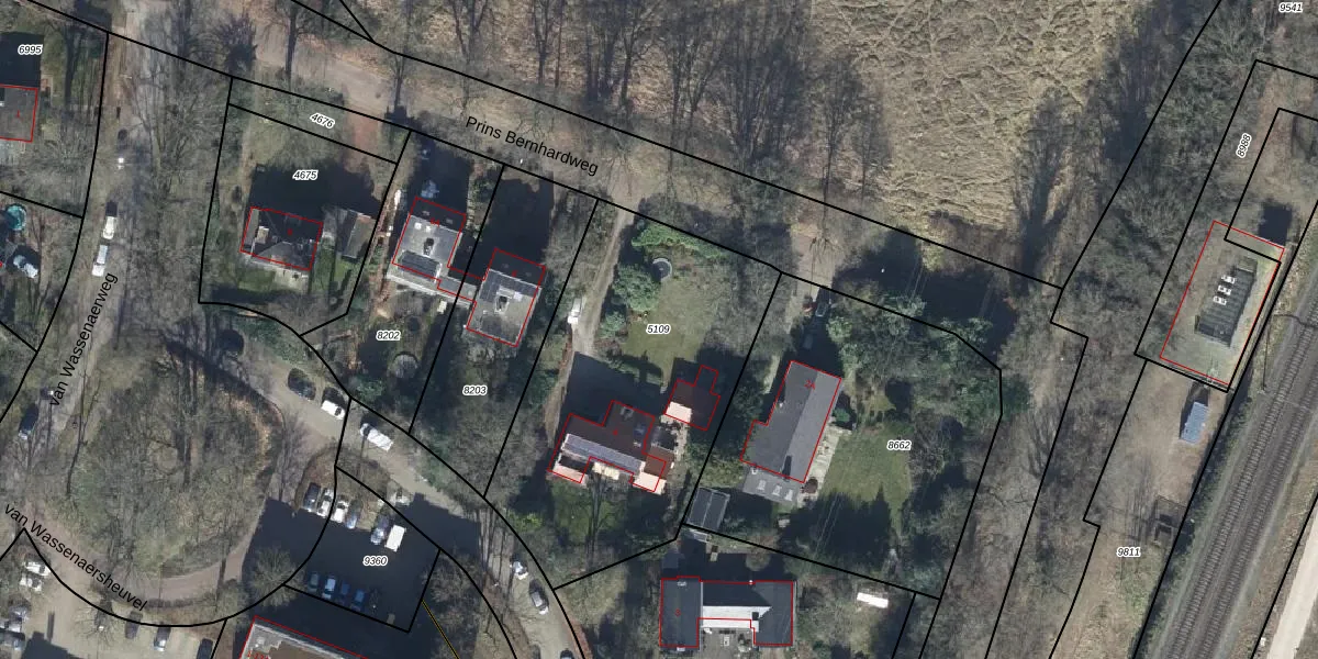
Perceel: OTB00-D-5109
KadastraleKaart.com kan meer dan je denktOntdek meer ›
Filter op bestemming 50+ datasets Eigendomsdata in één klik Percelen CRM
1.550 m2 - 160 m
Eigenaar opvragen
OTB00-D-5109 (Oosterbeek)
- 6862 ZG
gdnWnmU4a 4eGGkBQ pHx12jXUpgrade naar KadastraleKaart Pro
Verkoopprijs opvragen
Bekijk op Street View
Download DWG/DXF/Excel
r3urb4awQXUpgrade naar KadastraleKaart Pro
w6lnO nNwTibXzj68Upgrade naar KadastraleKaart Pro
IyVgemsH 8feQzH 20KHtUpgrade naar KadastraleKaart Pro
zqIOSB AUpgrade naar KadastraleKaart Pro
uy25NhFG6zhuXHb2fTYXVUpgrade naar KadastraleKaart Pro
cB0VlKAzcXQqpE6Upgrade naar KadastraleKaart Pro
ndm1 RcEfd0i9 mxsHmBzvgUpgrade naar KadastraleKaart Pro
34kzV 3tioUpgrade naar KadastraleKaart Pro
M KAFl1Upgrade naar KadastraleKaart Pro
o6 bFpT1FWmG xvSwJlQUxUpgrade naar KadastraleKaart Pro
18/10/2007

Percelen
Gebruik de zoekbalk of klik op een perceel om informatie over het perceel te bekijken.