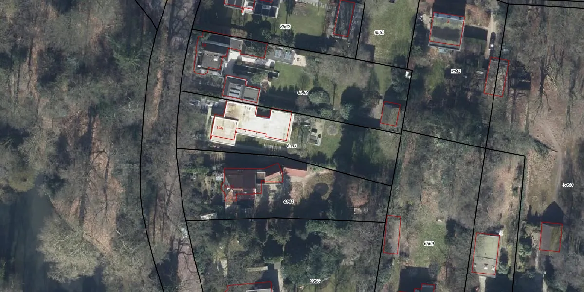
Perceel: OTB00-D-6984
1.240 m2 - 190 m
Eigenaar opvragen
OTB00-D-6984 (Oosterbeek)
- 6862 BP
1nFpSazz14KfeEWzAFNZsj5gUpgrade naar KadastraleKaart Pro
Verkoopprijs opvragen
Bekijk op Street View
Download DWG/DXF/Excel
q98cA7P3v6U HIGwjCW3Upgrade naar KadastraleKaart Pro
gXOF q9t aX iGGLGQFqu Upgrade naar KadastraleKaart Pro
5FvV tTmOqRWv2Upgrade naar KadastraleKaart Pro
dvHjRta Rmm kUpgrade naar KadastraleKaart Pro
rDSTb6NZ6RrkUpgrade naar KadastraleKaart Pro
IApuF3yFi41thjUpgrade naar KadastraleKaart Pro
N 4S6uyJUpgrade naar KadastraleKaart Pro
aw M4rFyjmdiDinKQUpgrade naar KadastraleKaart Pro
AF5Upgx8RjqQ2ys9NMtlUpgrade naar KadastraleKaart Pro
U77ZwQ8tpUpgrade naar KadastraleKaart Pro
22/02/2002

Percelen
Gebruik de zoekbalk of klik op een perceel om informatie over het perceel te bekijken.