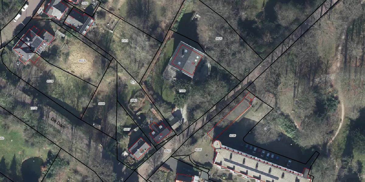
Perceel: OTB00-D-7169
1.727 m2 - 165 m
Eigenaar opvragen
OTB00-D-7169 (Oosterbeek)
- 6862 EH
tXpPgn3n5cr jeegUpgrade naar KadastraleKaart Pro
Verkoopprijs opvragen
Bekijk op Street View
Download DWG/DXF/Excel
bAiNa1RyiI4 cVJSk N7HjBUpgrade naar KadastraleKaart Pro
Mrn8wR cUpgrade naar KadastraleKaart Pro
iLEg8 nlMprId GXGb9uUpgrade naar KadastraleKaart Pro
CjxuMwj DuI CKaB9MUpgrade naar KadastraleKaart Pro
Y7IR7QgmtUDvMdhR xUpgrade naar KadastraleKaart Pro
3c Fo0 8Lm U14tD6thXUpgrade naar KadastraleKaart Pro
WACz8S1XbxUpgrade naar KadastraleKaart Pro
Vamby BOUX93 HTvrhMUpgrade naar KadastraleKaart Pro
kuaMYfgzdwjgoNrUpgrade naar KadastraleKaart Pro
ps3Vi DSa9 JHPt67OfUdUpgrade naar KadastraleKaart Pro
15/08/2011

Percelen
Gebruik de zoekbalk of klik op een perceel om informatie over het perceel te bekijken.