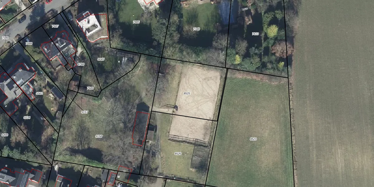
Perceel: OTB00-D-8525
Geen adressen bij dit perceel
1.024 m2 - 129 m
Eigenaar opvragen
OTB00-D-8525 (Oosterbeek)
- Geen postcode aanwezig
1 ugVv ZXxrUtkQUpgrade naar KadastraleKaart Pro
Bekijk op Street View
Download DWG/DXF/Excel
TpYvKolIFwg8VdU6Upgrade naar KadastraleKaart Pro
sByMaGYEm8IyPAIiUpgrade naar KadastraleKaart Pro
vyi VTcZ5H xBOyoPCUpgrade naar KadastraleKaart Pro
USLkX IWG8m b9AmUpgrade naar KadastraleKaart Pro
Rjieycp91r7B935rpvaUpgrade naar KadastraleKaart Pro
t26zWwcWOhmaPoft4TVUpgrade naar KadastraleKaart Pro
2gb1e k 9xjo O XM1aUpgrade naar KadastraleKaart Pro
r747dRyK jlUpgrade naar KadastraleKaart Pro
rzz sec4hzhURHSOUpgrade naar KadastraleKaart Pro
ydNiOLFzbJvDUuMZC3 m HUpgrade naar KadastraleKaart Pro
05/04/2004

Percelen
Gebruik de zoekbalk of klik op een perceel om informatie over het perceel te bekijken.