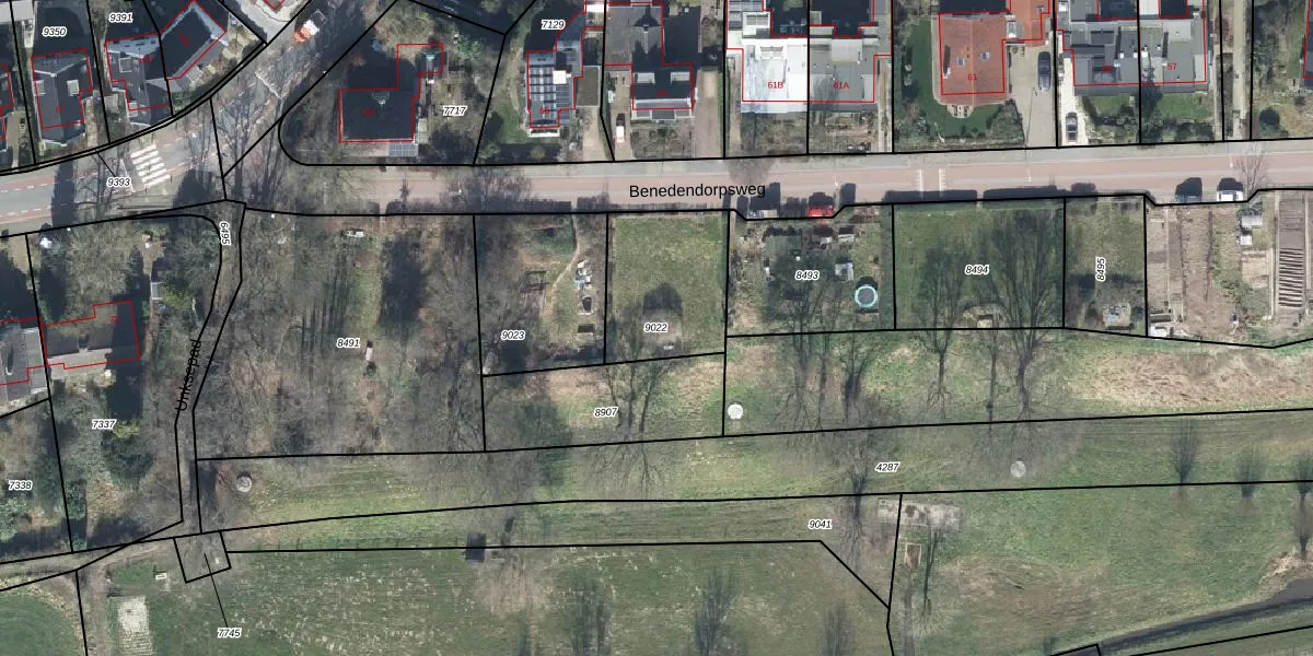
Perceel: OTB00-D-9022
KadastraleKaart.com kan meer dan je denktOntdek meer ›
Filter op bestemming 50+ datasets Eigendomsdata in één klik Percelen CRM
Geen adressen bij dit perceel
400 m2 - 82 m
Eigenaar opvragen
OTB00-D-9022 (Oosterbeek)
- Geen postcode aanwezig
6 gX9OOuVQzl vt dhfpxxY T oUpgrade naar KadastraleKaart Pro
Bekijk op Street View
Download DWG/DXF/Excel
7DSdZzpSIuMvsBuj4Wo VbUpgrade naar KadastraleKaart Pro
3s UHWSYmGyrqDUpgrade naar KadastraleKaart Pro
62LBAlwXLRmJxfUpgrade naar KadastraleKaart Pro
XPZrU tnYAeCl Upgrade naar KadastraleKaart Pro
zOWaG5EWy2 sOjEFbcQUpgrade naar KadastraleKaart Pro
l06z03sFRE3Upgrade naar KadastraleKaart Pro
2R9T sc6 Xin pUpgrade naar KadastraleKaart Pro
vCINev cUpgrade naar KadastraleKaart Pro
kqOAsMuO0e1r buNx 2tDW6Upgrade naar KadastraleKaart Pro
kKvt4Hp m3nTxG xB9ywUpgrade naar KadastraleKaart Pro
21/03/2002

Percelen
Gebruik de zoekbalk of klik op een perceel om informatie over het perceel te bekijken.