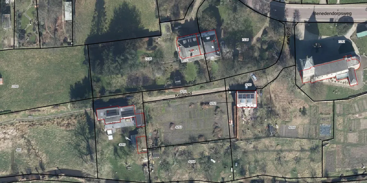
Perceel: OTB00-D-9251
KadastraleKaart.com kan meer dan je denktOntdek meer ›
Filter op bestemming 50+ datasets Eigendomsdata in één klik Percelen CRM
Geen adressen bij dit perceel
260 m2 - 104 m
Eigenaar opvragen
OTB00-D-9251 (Oosterbeek)
- Geen postcode aanwezig
Ze5cYmn2FYSq8SXywBaQpjiZVgUpgrade naar KadastraleKaart Pro
Bekijk op Street View
Download DWG/DXF/Excel
i7uo1z4PUpgrade naar KadastraleKaart Pro
uKKfoLu9zrdKwKkiZd2CGPUpgrade naar KadastraleKaart Pro
GcmCmGI6RE i0DVOoXmDinUpgrade naar KadastraleKaart Pro
QK ocXLq C ElLRPl XNmUpgrade naar KadastraleKaart Pro
O Qi5o0A6JtUpgrade naar KadastraleKaart Pro
zv8IAkzW1LUpgrade naar KadastraleKaart Pro
vNgYaQFUalSvfoUpgrade naar KadastraleKaart Pro
ODNw w6R4hfx0zUpgrade naar KadastraleKaart Pro
EwlUoqqn IFzD Upgrade naar KadastraleKaart Pro
DmV6fFVbKUpgrade naar KadastraleKaart Pro
09/06/2005

Percelen
Gebruik de zoekbalk of klik op een perceel om informatie over het perceel te bekijken.