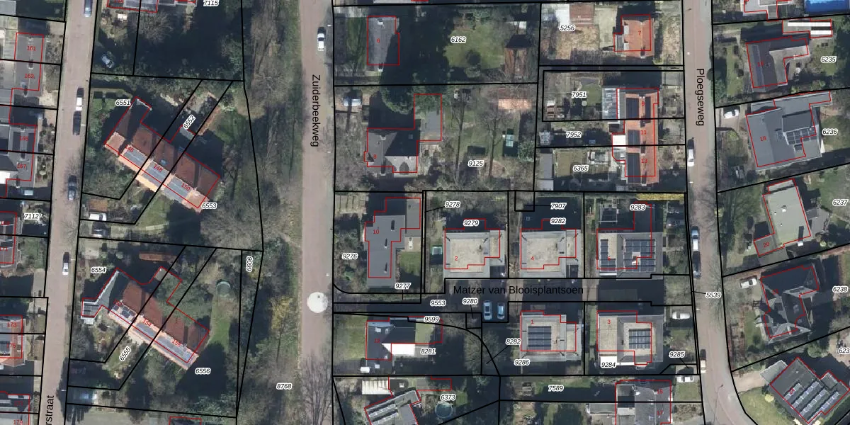
Perceel: OTB00-D-9278
KadastraleKaart.com kan meer dan je denktOntdek meer ›
Filter op bestemming 50+ datasets Eigendomsdata in één klik Percelen CRM
Geen adressen bij dit perceel
18 m2 - 50 m
Eigenaar opvragen
OTB00-D-9278 (Oosterbeek)
- Geen postcode aanwezig
tIpJ ocMm7r66s9g2dfEvUUpgrade naar KadastraleKaart Pro
Bekijk op Street View
Download DWG/DXF/Excel
TlJtHmUJMsRxxXkUpgrade naar KadastraleKaart Pro
kpkZv4 p8Upgrade naar KadastraleKaart Pro
r9rohtmiyNTwVBcVGQUpgrade naar KadastraleKaart Pro
13QLANBgyidBzfxY oUpgrade naar KadastraleKaart Pro
9cNIQ2PdmUpgrade naar KadastraleKaart Pro
O lS54gfxZOCpGKUpgrade naar KadastraleKaart Pro
nia8KiT4uwrNUpgrade naar KadastraleKaart Pro
CZbLRBfHozi7kidgGOXWUpgrade naar KadastraleKaart Pro
1GhJZBGMxF L8Upgrade naar KadastraleKaart Pro
ktTngynam5 xuU5Upgrade naar KadastraleKaart Pro
25/09/2006

Percelen
Gebruik de zoekbalk of klik op een perceel om informatie over het perceel te bekijken.