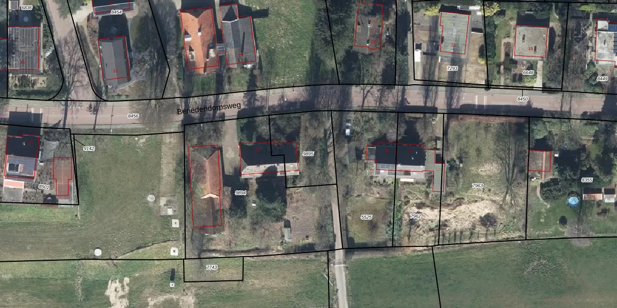
Perceel: OTB00-D-9895
KadastraleKaart.com kan meer dan je denktOntdek meer ›
Filter op bestemming 50+ datasets Eigendomsdata in één klik Percelen CRM
Geen adressen bij dit perceel
429 m2 - 89 m
Eigenaar opvragen
OTB00-D-9895 (Oosterbeek)
- Geen postcode aanwezig
Z7APGq CGYpaHV8CcHZsUpgrade naar KadastraleKaart Pro
Bekijk op Street View
Download DWG/DXF/Excel
yY5nB sovpUpXz 33rUpgrade naar KadastraleKaart Pro
4MhWU BBUpgrade naar KadastraleKaart Pro
s2j1SLveUpgrade naar KadastraleKaart Pro
LF52OWVOcRGo9 pzUpgrade naar KadastraleKaart Pro
dNnt5wqj8Upgrade naar KadastraleKaart Pro
3 uBhNaP87cTjn8 Upgrade naar KadastraleKaart Pro
X8H BPwf KX4iBlsyY4MbbmUpgrade naar KadastraleKaart Pro
vyVj8Ze4H4fSYUpgrade naar KadastraleKaart Pro
P2 REInaZROl1efSQ hpUpgrade naar KadastraleKaart Pro
NT38g0cWHQDhkK1ZiWYUpgrade naar KadastraleKaart Pro
19/12/2025

Percelen
Gebruik de zoekbalk of klik op een perceel om informatie over het perceel te bekijken.