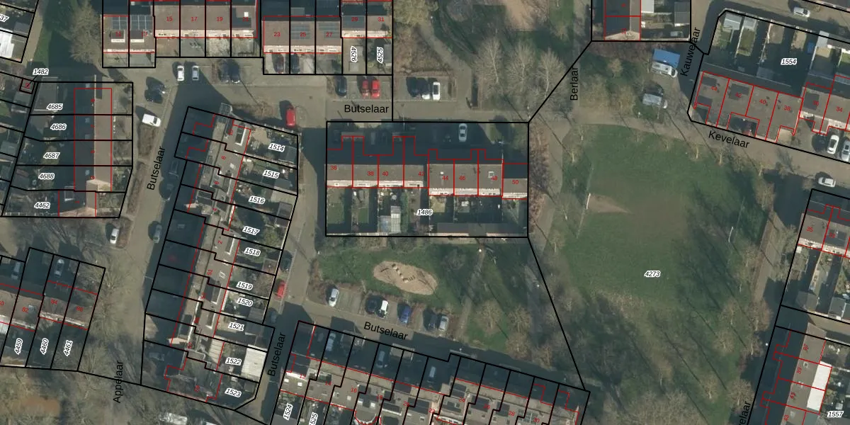
Perceel: OTH01-C-1486
1.280 m2 - 149 m
Eigenaar opvragen
OTH01-C-1486 (Oosterhout)
- 4907 KM
BBhsdn7RfXYzxy arI4GkUpgrade naar KadastraleKaart Pro
Bekijk op Street View
Download DWG/DXF/Excel
KqYD2H HIHudeTfN1wxUpgrade naar KadastraleKaart Pro
KZCfkLC BOigj3pl6XGt nEUpgrade naar KadastraleKaart Pro
Q7E01LzFkj038Upgrade naar KadastraleKaart Pro
nvWfL 3uRQu vwEXNKABzZUpgrade naar KadastraleKaart Pro
wqB6hiVUpgrade naar KadastraleKaart Pro
yMixG21As debUpgrade naar KadastraleKaart Pro
iyhW3uf0PUpgrade naar KadastraleKaart Pro
5FuBjjNQtoGP1Y6xUpgrade naar KadastraleKaart Pro
K2edouIIjAUpgrade naar KadastraleKaart Pro
NB F 9 s 0 bCnGUpgrade naar KadastraleKaart Pro
21/04/2006

Percelen
Gebruik de zoekbalk of klik op een perceel om informatie over het perceel te bekijken.