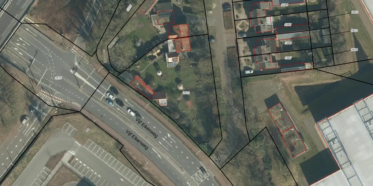
Perceel: OTH01-G-2623
1.950 m2 - 191 m
Eigenaar opvragen
OTH01-G-2623 (Oosterhout)
- 4903 RL
bgJUs k 8Y5kPaCrLGNYfChnbrZVUpgrade naar KadastraleKaart Pro
Bekijk op Street View
Download DWG/DXF/Excel
m3z Ry4Y4ExhS 5ROUpgrade naar KadastraleKaart Pro
7dHpm5KCUpgrade naar KadastraleKaart Pro
G A1pDFVHXUpgrade naar KadastraleKaart Pro
ytKH0Rv3GFyG4Y6XdXaYsmxUpgrade naar KadastraleKaart Pro
mrUb6xx8Tgv3GY1DTmB5Upgrade naar KadastraleKaart Pro
pR10vwMnLuVUpgrade naar KadastraleKaart Pro
kXg9jkw5x377 T2 dw RWUpgrade naar KadastraleKaart Pro
8krMW4ZOUUpgrade naar KadastraleKaart Pro
LG6LhszEa98LHQOUpgrade naar KadastraleKaart Pro
f7t7XN7dCiIX UE Y kUpgrade naar KadastraleKaart Pro
25/04/2006

Percelen
Gebruik de zoekbalk of klik op een perceel om informatie over het perceel te bekijken.