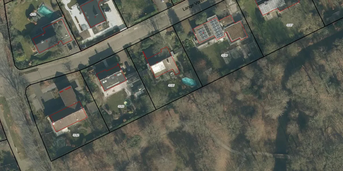
Perceel: OTH01-M-3195
KadastraleKaart.com kan meer dan je denktOntdek meer ›
Filter op bestemming 50+ datasets Eigendomsdata in één klik Percelen CRM
1.200 m2 - 140 m
Eigenaar opvragen
OTH01-M-3195 (Oosterhout)
- 4904 PJ
RgiokUcLPmPiHoxI14z1ti tLiUpgrade naar KadastraleKaart Pro
Bekijk op Street View
Download DWG/DXF/Excel
D5P uuk9ExOXNuOEjta8Upgrade naar KadastraleKaart Pro
m3TDrlkkCrUm6Y6pdRvfkUpgrade naar KadastraleKaart Pro
kzLjJV6R138Upgrade naar KadastraleKaart Pro
tRhLoYuFNVaeiS iWTUpgrade naar KadastraleKaart Pro
z6jq1V MQFEUpgrade naar KadastraleKaart Pro
lUhwPPBBk3mdie HKmUpgrade naar KadastraleKaart Pro
uqvl4qwVGO8BUpgrade naar KadastraleKaart Pro
Ar mS9sMbzj KHPEAUHXUpgrade naar KadastraleKaart Pro
ObB8 S0yfiUpgrade naar KadastraleKaart Pro
y6naM uDXj7wAekzGtyUpgrade naar KadastraleKaart Pro
07/12/2009

Percelen
Gebruik de zoekbalk of klik op een perceel om informatie over het perceel te bekijken.