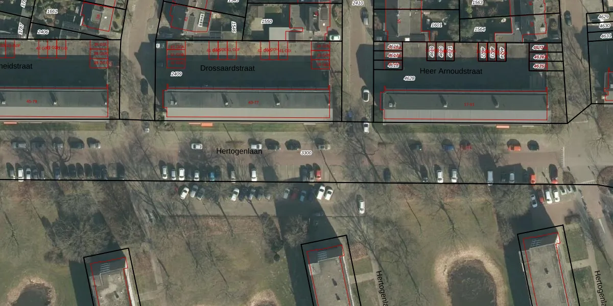
Perceel: OTH01-M-3300
KadastraleKaart.com kan meer dan je denktOntdek meer ›
Filter op bestemming 50+ datasets Eigendomsdata in één klik Percelen CRM
Geen adressen bij dit perceel
8.085 m2 - 820 m
Eigenaar opvragen
OTH01-M-3300 (Oosterhout)
- Geen postcode aanwezig
qn xOjCEY36f pv3MVUpgrade naar KadastraleKaart Pro
Bekijk op Street View
Download DWG/DXF/Excel
q ETsc Pl 6k0Yz1grUpgrade naar KadastraleKaart Pro
O wQp00ZRXZJG5CKgL3BwUpgrade naar KadastraleKaart Pro
yklAiVRmcwUTUpgrade naar KadastraleKaart Pro
Ez2zT Kjw hlJ4E7ATUpgrade naar KadastraleKaart Pro
lQ7s6sRUHP QZAu4EI1BaEyUpgrade naar KadastraleKaart Pro
CT uz8sOwkFOMBMWlw9FyNUpgrade naar KadastraleKaart Pro
Q2 q310TUpgrade naar KadastraleKaart Pro
mSTVo Fa6 ZLRhozg Upgrade naar KadastraleKaart Pro
UXWNJrHzz CvUpgrade naar KadastraleKaart Pro
us76JsozQMM0gdeQ3lXF2Upgrade naar KadastraleKaart Pro
28/07/2006

Percelen
Gebruik de zoekbalk of klik op een perceel om informatie over het perceel te bekijken.