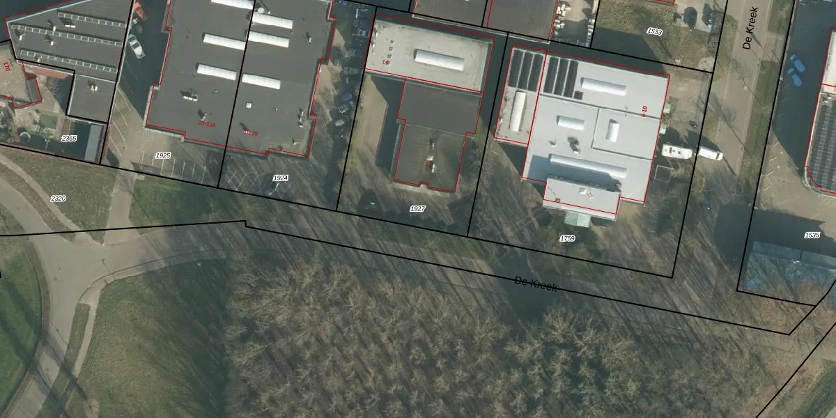
Perceel: OTH01-Q-1927
1.599 m2 - 164 m
Eigenaar opvragen
OTH01-Q-1927 (Oosterhout)
- 4906 BB
Bu 2PpWh 69zCjwawrtO6bxvPdLdUpgrade naar KadastraleKaart Pro
Bekijk op Street View
Download DWG/DXF/Excel
zbytKLLno8xhP 5Upgrade naar KadastraleKaart Pro
9wgAt 0aQNNUpgrade naar KadastraleKaart Pro
VRitEYkHBUpgrade naar KadastraleKaart Pro
oruxR Q 2 8jSFm78Upgrade naar KadastraleKaart Pro
fVk FrOgyNmaAUpgrade naar KadastraleKaart Pro
vbZJ0GDwDUpgrade naar KadastraleKaart Pro
rUTYnB4H XWEHuxMUpgrade naar KadastraleKaart Pro
8bKIY8TysQBUpgrade naar KadastraleKaart Pro
5 pYLkK fEw R9RUpgrade naar KadastraleKaart Pro
7tRTB mIq5Ii2RTHn Upgrade naar KadastraleKaart Pro
15/11/2019

Percelen
Gebruik de zoekbalk of klik op een perceel om informatie over het perceel te bekijken.